·Î±×ÀÎ
24
Àü
±¤ÁÖÁö¹æ¹ý¿ø ¼øÃµÁö¿ø
 °¨Á¤°¡189,750,000 ¿ø
 ÃÖÀú°¡(100%) 189,750,000 ¿ø
 º¸Áõ±Ý(10%) 18,975,000 ¿ø
 Ã»±¸¾×50,460,273 ¿ø
Àü¶ó³²µµ ¿©¼ö½Ã ±¹µ¿ 1095-1
»ç°Ç¹øÈ£ 2025Ÿ°æ51860
°æ¸ÅÁ¾·ùºÎµ¿»ê°­Á¦°æ¸Å
¸Å°¢´ë»óÅäÁöÁöºÐ¸Å°¢
¸Å°¢±âÀÏ    2026.04.20(¿ù) 10:00 ÀÔÂû 13ÀÏÀü    
ÅäÁö¸éÀû126.52§³(38.27 Æò)
°Ç¹°¸éÀû
乫/¼ÒÀ¯ÀÚ¹ÚOO / ¹ÚOO
ä±ÇÀÚ¿¡OOOOOOOOOOOOOOOOO
ÆäÀ̽ººÏ Æ®À§ÅÍ ±¸±Û+
īī¿À½ºÅ丮
īī¿ÀÅå sms¹®ÀÚº¸³»±â
 

±âÀϳ»¿ª

°æ°ú ³¯Â¥ Àú°¨ ÃÖÀú°¡ °á°ú
Á¢¼öÀÏ 2025-07-30 °æ¸ÅÁ¢¼ö
~6ÀÏ 
2025-08-05 °æ¸Å°³½Ã°áÁ¤
~90ÀÏ 
2025-10-28 ¹è´ç¿ä±¸Á¾±âÀÏ
~264ÀÏ 
2026-04-20 100%
189,750,000
ÁøÇà
¹°°Ç¸í¼¼¼­ ÇöȲÁ¶»ç¼­ ¹®°ÇÁ¢¼ö ¼Û´Þ³»¿ª

°¨Á¤Æò°¡ÇöȲ

¸ñ·Ï ÁÖ¼Ò ±¸Á¶/¿ëµµ/´ëÁö±Ç ¸éÀû ºñ°í
ÅäÁö
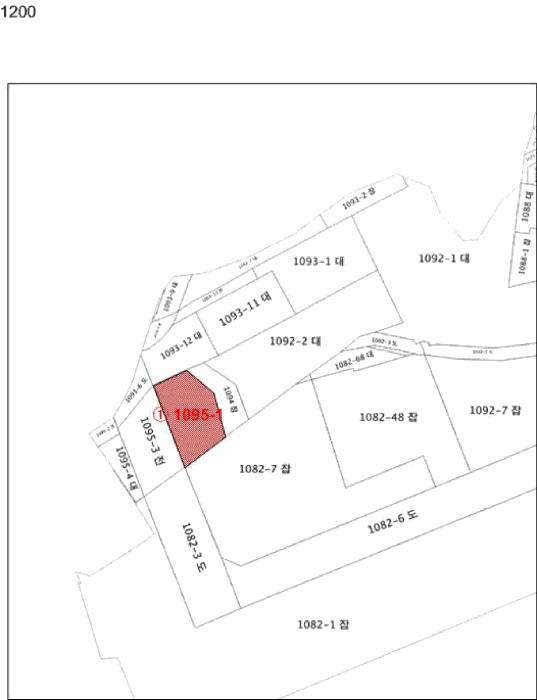
±¹µ¿ 1095-1 Àü 126.5187 §³
(38.27Æò)
856ºÐÀÇ 285 ÁöºÐ ÀüºÎ
1) À§Ä¡/Áذø¾÷Áö¿ª ´õº¸±â
°¨Á¤Æò°¡ ¿äÇ×Ç¥
1)À§Ä¡ ¹× ÁÖÀ§È¯°æ
º»°ÇÀº Àü¶ó³²µµ ¿©¼ö½Ã ½Å¿ùµ¿ ¼ÒÀç ""¿ùÈ£µ¿ Áֹμ¾ÅÍ"" ³²µ¿Ãø Àαٿ¡ À§Ä¡Çϸç,
ÁÖº¯Àº ¾÷¹«¿ë, ±Ù¸°»ýȰ½Ã¼³ µîÀÌ È¥ÀçÇÑ ÇØ¾È »ó°¡Áö´ë·Î¼­ ÁÖÀ§È¯°æÀº º¸Åë½ÃµÊ.
2)±³Åë»óȲ
º»°Ç±îÁö Â÷·®Á¢±Ù °¡´ÉÇϸç, Á¦¹Ý ±³Åë»çÁ¤Àº º¸Åë½ÃµÊ.
3)ÇüÅ ¹× ÀÌ¿ë»óÅÂ
ÆòÁö´ë³» »ç´Ù¸®ÇüÀÇ ÅäÁö·Î, »ó¾÷³ªÁö·Î ÀÌ¿ëÁßÀÓ.
4)ÀÎÁ¢ µµ·Î»óÅÂ
º»°Ç ¼­ÃøÀ¸·Î ¿Õº¹ 2Â÷¼±ÀÇ Æ÷Àåµµ·Î°¡ °³¼³µÇ¾î ÀÖÀ½.
5)ÅäÁöÀÌ¿ë°èȹ ¹× Á¦ÇÑ»óÅÂ
Áذø¾÷Áö¿ª, °íµµÁö±¸, Áß·Î2·ù(Á¢ÇÕ), °¡Ãà»çÀ°Á¦Çѱ¸¿ª, »ó´ëº¸È£±¸¿ª,
ÁßÁ¡°æ°ü°ü¸®±¸¿ªÀÓ.
6)Á¦½Ã¸ñ·Ï ¿ÜÀÇ ¹°°Ç
º»°Ç Áö»ó¿¡ ŸÀμÒÀ¯·Î ޹®Á¶»çµÈ °¡¼³°ÇÃ๰ ¹× ÀÎÁ¢Áö¿¡ °ÉÃÄÁø ÄÁÅ×ÀÌ³Ê 2µ¿ÀÌ ¼ÒÀçÇÔ.
7)°øºÎ¿ÍÀÇ Â÷ÀÌ
¾øÀ½.
8)±âŸÂü°í»çÇ×(ÀÓ´ë°ü·Ê ¹× ±âŸ)
ÀÓ´ë°ü°è´Â ¹Ì»óÀÓ.
Âü°í
»çÇ×
ÁöºÐ¸Å°¢, Ưº°¸Å°¢Á¶°Ç ÀÖÀ½(°øÀ¯ÀÚ ¿ì¼±¸Å¼ö±ÇÇà»ç´Â 1ȸ·Î Á¦ÇÑÇÔ)
º»°ÇÀº Àü¶ó³²µµ ¿©¼ö


±¹ÅäºÎ½Ç°Å·¡°¡ Àü¶ó³²µµ ¿©¼ö½Ã ±¹µ¿

°è¾àÀÏÁö¸ñ¿ëµµÁö¿ªµµ·Î°è¾à¸éÀû±Ý¾×±¸ºÐ
26.03.07´ëÁØÁÖ°Å12m¹Ì¸¸6610,000
26.03.07´ëÁØÁÖ°Å12m¹Ì¸¸666,000
25.11.26´ëÁذø¾÷8m¹Ì¸¸13.87800ÁöºÐ
25.11.06´ëÁذø¾÷12m¹Ì¸¸16930,600
25.10.27ÀüÁذø¾÷12m¹Ì¸¸50040,000
¢Ñ ´õº¸±â

µî±âºÎµîº» ¿ä¾à(ÅäÁö)

  Á¢¼öÀÏÀÚ µî±â¸ñÀû/±Ç¸®ÀÚ ±Ç¸®±Ý¾× ±âÁØ
1 1993³â5¿ù3ÀÏ
¼ÒÀ¯±Ç
ÀÌOO
¼Ò¸ê
2 1996³â9¿ù24ÀÏ
¼ÒÀ¯±Ç
¹ÚOO
¼Ò¸ê
3 1991³â5¿ù17ÀÏ
¼ÒÀ¯±Ç
°íOO
¼Ò¸ê
4 2023³â7¿ù25ÀÏ
±ÙÀú´ç±Ç
(OOOO
143,000,000 ¼Ò¸ê±âÁØ
5 2025³â2¿ù10ÀÏ
°¡¾Ð·ù
(OOOO
202,678,737 ¼Ò¸ê
6 2025³â6¿ù16ÀÏ
°¡¾Ð·ù
¿¡OOOO
50,000,000 ¼Ò¸ê
7 2025³â8¿ù5ÀÏ
°­Á¦°æ¸Å
¿¡OOOO
¼Ò¸ê

ÀÓÂ÷ÀÎÇöȲ (¹è´ç¿ä±¸Á¾±âÀÏ: 2025-10-28)



¸Å°¢±âÀÏ 7ÀÏÀü¿¡ °ø°íµÇ¿À´Ï È®ÀÎÇϽñ⠹ٶø´Ï´Ù.


¿©ÀÇÁÖ°æ¸Å Á¶¾ð ÇÑ ¸¶µð

ÁöºÐ°æ¸Å ¹°°ÇÀÌ Æ÷ÇԵǾî ÀÖ½À´Ï´Ù
¿©·¯ ¸íÀÌ °øµ¿À¸·Î ¼ÒÀ¯ÇÏ´Â ºÎµ¿»êÀÇ ÀϺθ¸ °æ¸Å·Î ³ª¿Â °ÍÀ» ÁöºÐ°æ¸Å¶ó°í ÇÕ´Ï´Ù. ¼ÒÀ¯ºÎºÐÀÌ Æ¯Á¤µÇÁö ¾Ê¾Æ »ç¿ë¿¡ Á¦¾àÀÌ µû¸¦ ¼ö ÀÖÀ¸¸ç °øÀ¯ÀÚ°£¿¡ ºÐÀïµµ ¹ß»ýÇÒ ¼ö ÀÖ½À´Ï´Ù. °øÀ¯ÀÚ´Â °øÀ¯ÀÚ¿ì¼±¸Å¼öû±¸±Ç¸®°¡ ÀÖ½À´Ï´Ù.
ÃëÇÏ ¶Ç´Â Ãë¼ÒµÉ °¡´É¼º ÀÖ½À´Ï´Ù
ÀÌ ¹°°ÇÀÇ °¨Á¤°¡°ÝÀº 189,750,000¿øÀÔ´Ï´Ù. °æ¸Å¸¦ ½ÅûÇÑ Ã¤±ÇÀÚ°¡ ¹è´ç ¹Þ¾Æ¾ß ÇÒ ±Ý¾×Àº 50,460,273¿øÀ¸·Î °¨Á¤°¡°Ý ´ëºñ »ó´çÈ÷ ÀûÀº ±Ý¾×ÀÔ´Ï´Ù. ÀÌ·± °æ¿ì, 乫°¡°¡ º¯Á¦ÇÏ¿© °æ¸Å¸¦ ÃëÇϽÃŰ°Å³ª °æ¸Å½Åûä±ÇÀÚ°¡ ¹è´ç¹ÞÀº ±Ý¿øÀÌ ¾ø°ÔµÇ¾î À̸¥ ¹Ù "¹«À׿©¿¡ ÀÇÇÑ Ãë¼Ò"°¡ µÉ °¡´É¼ºÀÌ ÀÖ½À´Ï´Ù.

ÁÖÀÇ»çÇ× (ÃÖ¼±¼øÀ§ ¼³Á¤ÀÏ: )

¸Å°¢À¸·Î ¼Ò¸êµÇÁö ¾Ê´Â µî±âºÎ±Ç¸®:
¸Å°¢À¸·Î ¼³Á¤µÈ °ÍÀ¸·Î º¸´Â Áö»ó±Ç:
¡Ø¹Ì³³°ü¸®ºñ(°ø¿ë) Àμö¿©ºÎ¸¦ ÀÔÂû Àü¿¡ È®ÀÎÇϽñ⠹ٶø´Ï´Ù

 

Áö¿ªºÐ¼®

ÁöÇÏö¸í Á÷¼±°Å¸®

Çб³¸í ÀüÈ­¹øÈ£ ÁÖ¼Ò Á÷¼±°Å¸®

¹ý¿ø

±¤ÁÖÁö¹æ¹ý¿ø ¼øÃµÁö¿ø (579-32)Àü¶ó³²µµ ¼øÃµ½Ã ¿ÕÁö·Î 21 (¿ÕÁöµ¿)
´ëÇ¥ : 061)729-5114
°üÇÒÁö¿ª : ¼øÃµ½Ã, ¿©¼ö½Ã, ±¤¾ç½Ã, °íÈﱺ, º¸¼º±º, ±¸·Ê±º

µî±â¼Ò ±¤ÁÖÁö¹æ¹ý¿ø ¼øÃµÁö¿ø ¿©¼öµî±â¼Ò (´ëÇ¥:1544-0773, ÆÑ½º:(061)664-0538, 664-0825, Àü³² ¿©¼ö½Ã °í¼Ò3±æ 5 (°í¼Òµ¿ 640))
¼¼¹«¼­ ¿©¼ö¼¼¹«¼­ (´ëÇ¥:061-688-02, ÆÑ½º:061-682-1649, Àü¶ó³²µµ ¿©¼ö½Ã Á¼ö¿µ·Î 948-5 (ºÀ°èµ¿))

Àαٳ«ÂûÅë°è

±â°£ ¸Å°¢°Ç¼ö Æò±Õ°¨Á¤°¡
Æò±Õ¸Å°¢°¡
¸Å°¢°¡À²
Æò±ÕÀ¯Âû¼ö
3°³¿ù 17°Ç 171,369,962¿ø
55,083,981¿ø
45%
4.2ȸ
6°³¿ù 33°Ç 236,738,918¿ø
100,655,748¿ø
50%
3.9ȸ
12°³¿ù 75°Ç 187,653,726¿ø
90,620,298¿ø
50%
3.7ȸ


º» °æ¸ÅÁ¤º¸´Â ¹ý¿øÀÚ·á¿Í ÀÏÄ¡Çϵµ·Ï ÇÏ¿´À¸³ª ±Ç¸®»çÇ׺¯µ¿, ÀÔ·ÂÂø¿À µîÀÇ ¿øÀÎÀ¸·Î »ç½Ç°ú ´Ù¸¦ ¼ö ÀÖ½À´Ï´Ù. ÀÌ¿ë¾à°ü¿¡ ÀǰЏéÃ¥Á¶°ÇÀ¸·Î Á¦°øµÊÀ» ¾Ë¸®¸ç, °æ¸ÅÀÔÂû½Ã ¹Ýµå½Ã °ü·Ã °øºÎ¸¦ ÀçÈ®ÀÎÇϽñ⠹ٶø´Ï´Ù. º¸´Ù Æí¸®ÇÑ °æ¸ÅÁ¤º¸ Á¦°øÀ» À§ÇØ Áö¼ÓÀûÀ¸·Î °³¼±ÇϰڽÀ´Ï´Ù. ÀÌ¿ëÇØ Áּż­ °¨»çÇÕ´Ï´Ù.