·Î±×ÀÎ
95
´Ù¼¼´ë(ºô¶ó)
¼ö¿øÁö¹æ¹ý¿ø ¾È»êÁö¿ø
 °¨Á¤°¡163,000,000 ¿ø
 ÃÖÀú°¡(100%) 163,000,000 ¿ø
 º¸Áõ±Ý(10%) 16,300,000 ¿ø
 Ã»±¸¾×154,000,000 ¿ø
°æ±âµµ ¾È»ê½Ã ´Ü¿ø±¸ ¿Íµ¿ 707-6 ´ë¸íÇÏÀ̺ô 4Ãþ401È£
»ç°Ç¹øÈ£ 2025Ÿ°æ52786
°æ¸ÅÁ¾·ùºÎµ¿»ê°­Á¦°æ¸Å
¸Å°¢´ë»óÅäÁö ¹× °Ç¹°Àϰý ¸Å°¢
¸Å°¢±âÀÏ    2026.04.16(¸ñ) 10:30 ÀÔÂû 5ÀÏÀü    
ÅäÁö¸éÀû33.62§³(10.17 Æò)
°Ç¹°¸éÀû72.61§³(21.96 Æò)
乫/¼ÒÀ¯ÀÚÇüOO / ÇüOO
ä±ÇÀÚÁÖOOOOOOO
ÆäÀ̽ººÏ Æ®À§ÅÍ ±¸±Û+
īī¿À½ºÅ丮
īī¿ÀÅå sms¹®ÀÚº¸³»±â
 

±âÀϳ»¿ª

°æ°ú ³¯Â¥ Àú°¨ ÃÖÀú°¡ °á°ú
Á¢¼öÀÏ 2025-07-04 °æ¸ÅÁ¢¼ö
~3ÀÏ 
2025-07-07 °æ¸Å°³½Ã°áÁ¤
~80ÀÏ 
2025-09-22 ¹è´ç¿ä±¸Á¾±âÀÏ
~286ÀÏ 
2026-04-16 100%
163,000,000
ÁøÇà
¹°°Ç¸í¼¼¼­ ÇöȲÁ¶»ç¼­ ¹®°ÇÁ¢¼ö ¼Û´Þ³»¿ª

°¨Á¤Æò°¡ÇöȲ

¸ñ·Ï ÁÖ¼Ò ±¸Á¶/¿ëµµ/´ëÁö±Ç ¸éÀû ºñ°í
´ëÁö±Ç
¿Íµ¿ 707-6 263ºÐÀÇ 33.62 33.62 §³
(10.17Æò)
°Ç¹°
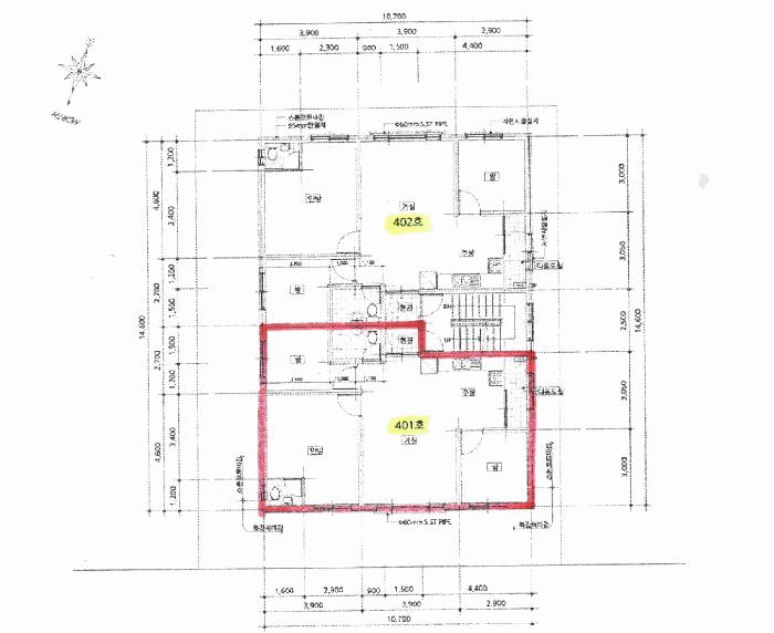
¿Íµ¿ 707-6 4Ãþ401È£ ö±ÙÄÜÅ©¸®Æ®±¸Á¶ 72.61 §³
(21.96Æò)
1) À§Ä¡/µµ½ÃÁö¿ª/°ü¸®Áö¿ª/Á¦2Á¾ÀϹÝÁÖ°ÅÁö¿ª/³ë¼±¹ö½ºÁ¤·ùÀå/ö±ÙÄÜÅ©¸®Æ®±¸Á¶/µµ½Ã°¡½º ´õº¸±â
°¨Á¤Æò°¡ ¿äÇ×Ç¥
1)À§Ä¡ ¹× ÁÖÀ§È¯°æ
º»°ÇÀº °æ±âµµ ¾È»ê½Ã ´Ü¿ø±¸ ¿Íµ¿ ¼ÒÀç ""¿Íµ¿ÃʵîÇб³"" ³²¼­Ãø Àαٿ¡ À§Ä¡Çϸç ÁÖÀ§´Â
°¢±ÞÇб³, ´Ù¼¼´ëÁÖÅÃ, °ø¿ø ¹× ±Ù¸°»ýȰ½Ã¼³ µîÀÌ È¥ÀçÇÏ´Â Áö´ë·Î Á¦¹Ý ÁÖÀ§È¯°æÀº
º¸ÅëÀÓ.
2)±³Åë»óȲ
º»°Ç ÁÖÅñîÁö Â÷·®Á¢±Ù °¡´ÉÇϸç Àαٿ¡ ³ë¼±¹ö½ºÁ¤·ùÀåÀÌ ¼ÒÀçÇÏ¿© Á¦¹Ý ´ëÁß±³Åë»çÁ¤Àº
¹«³­ÇÔ.
3)°Ç¹°ÀÇ ±¸Á¶
ö±ÙÄÜÅ©¸®Æ®±¸Á¶ (ö±Ù)ÄÜÅ©¸®Æ®ÁöºØ 5Ãþ °Ç³» 4Ãþ 401È£·Î¼­
¿Üº® : ¼®ÀçºÙÀÓ ¸¶°¨µî
³»º® : º®Áö ¹× ŸÀϸ¶°¨µî
âȣ : ÇÏÀÌ»õ½Ã ÀÌÁßâȣÀÓ.
4)ÀÌ¿ë»óÅÂ
´Ù¼¼´ëÁÖÅÃ(ÈÄ÷ ³»ºÎ±¸Á¶µµ ÂüÁ¶)À¸·Î ÀÌ¿ëÁßÀÓ.
5)¼³ºñ³»¿ª
À§»ý½Ã¼³, ±Þ¹è¼ö½Ã¼³ ¹× µµ½Ã°¡½º ³­¹æ½Ã¼³µîÀ» °®Ãß¾úÀ½.
6)ÅäÁöÀÇ Çü»ó ¹× ÀÌ¿ë»óÅÂ
º»°Ç ÅäÁö´Â µî°íÆòźÇÑ ÆòÁö³»ÀÇ Á¤¹æÇü ÅäÁö·Î¼­ ´Ù¼¼´ëÁÖÅúÎÁö·Î ÀÌ¿ëÁßÀÓ.
7)ÀÎÁ¢ µµ·Î»óŵî
º»°Ç ºÏÃøÀ¸·Î ¾à6m Æ÷Àåµµ·Î¿Í Á¢ÇÔ.
8)ÅäÁöÀÌ¿ë°èȹ ¹× Á¦ÇÑ»óÅÂ
µµ½ÃÁö¿ª, Á¦2Á¾ÀϹÝÁÖ°ÅÁö¿ª, ½Ã°¡Áö°æ°üÁö±¸(ÀϹÝ), ¼Ò·Î3·ù(Æø8m ¹Ì¸¸)(Á¢ÇÕ), °¡Ãà»çÀ°
Á¦Çѱ¸¿ª<°¡ÃàºÐ´¢ÀÇ °ü¸® ¹× À̿뿡 °üÇÑ ¹ý·ü>, »ó´ëº¸È£±¸¿ª(¿Íµ¿ÃʵîÇб³ )<±³À°È¯°æ
º¸È£¿¡ °üÇÑ ¹ý·ü>, ´ë±â°ü¸®±Ç¿ª<´ë±â°ü¸®±Ç¿ªÀÇ ´ë±âȯ°æ°³¼±¿¡ °üÇÑ Æ¯º°¹ý>, µµ½Ã±³Åë
Á¤ºñÁö¿ª<µµ½Ã±³ÅëÁ¤ºñÃËÁø¹ý>, ¿ª»ç¹®È­È¯°æº¸Á¸Áö¿ª(½ÃµµÁöÁ¤¹®È­Àç ¿ª»ç¹®È­È¯°æº¸Á¸
Áö¿ª,»ç¼¼Ãæ·Ä¹®,¿Ü°û°æ°è·ÎºÎÅÍ300¹ÌÅÍÀ̳»ÀÇÁö¿ªÀ¸·Î¹®È­ÀçÇùÀDZ¸¿ªÀÓ)<¹®È­À¯»êÀÇ º¸Á¸
¹× Ȱ¿ë¿¡ °üÇÑ ¹ý·ü>, »ýȰ¼ÒÀ½Áøµ¿°ü¸®Áö¿ª<¼ÒÀ½Áøµ¿°ü¸®¹ý>, ¼ºÀå°ü¸®±Ç¿ª<¼öµµ±ÇÁ¤ºñ
°èȹ¹ý>
9)°øºÎ¿ÍÀÇ Â÷ÀÌ
¾øÀ½.
10)±âŸÂü°í»çÇ×(ÀÓ´ë°ü·Ê ¹× ±âŸ)
ÀÓ´ë°ü°è ¹Ì»óÀÓ.
Âü°í
»çÇ×

4Ãþ 2°¡±¸

°ÇÃ๰ÇöȲ

¼ÒÀçÁö °æ±âµµ ¾È»ê½Ã ´Ü¿ø±¸ ¿Íµ¿ 707-6¹øÁö
´ëÁö¸éÀû 263§³
(79.7Æò)
¿¬¸éÀû 625.29§³
(189.48Æò)
°ÇÃà¸éÀû 156.22§³
(47.34Æò)
¿ëÀû·ü»êÁ¤
¿¬¸éÀû
625.29§³
(189.48Æò)
°ÇÆóÀ² 59.4% ¿ëÀû·ü 237.75%
Áö»óÃþ¼ö 5Ãþ ÁöÇÏÃþ¼ö  
ÁÖ¿ëµµ °øµ¿ÁÖÅà ±¸Á¶ ö±ÙÄÜÅ©¸®Æ®±¸Á¶
Âø°øÀÏÀÚ 2008.05.23 »ç¿ë½ÂÀÎÀÏÀÚ 2008.09.18
°ÇÃ๰Ãþº°ÇöȲ [º¸±â]


µî±âºÎµîº» ¿ä¾à(°Ç¹°)

  Á¢¼öÀÏÀÚ µî±â¸ñÀû/±Ç¸®ÀÚ ±Ç¸®±Ý¾× ±âÁØ
1 2020³â11¿ù26ÀÏ
¼ÒÀ¯±Ç
ÇüOO
¼Ò¸ê
2 2022³â11¿ù2ÀÏ
¾Ð·ù
±¹
¼Ò¸ê±âÁØ
3 2023³â11¿ù13ÀÏ
ÀÓÂ÷±Ç¼³Á¤
ÃÖOO
154,000,000 ¼Ò¸ê
4 2025³â7¿ù7ÀÏ
°­Á¦°æ¸Å
ÁÖOOOO
¼Ò¸ê

ÀÓÂ÷ÀÎÇöȲ (¹è´ç¿ä±¸Á¾±âÀÏ: 2025-09-22)

ÀÓÂ÷ÀÎ ¿ëµµ/Á¡À¯ º¸Áõ±Ý/¿ù¼¼ ´ëÇ×·Â
ÀüÀÔÀÏ/È®Á¤ÀÏ ¹è´ç¿ä±¸ ºñ°í
ÁÖOOOOOOOOOOOOOOO ÁÖÅÃÀüºÎ 154,000,000
O
2021.10.01.
2021.09.02.
2021.10.01.~
ºñ°í
(¸Å°¢¹°°Ç
¸í¼¼¼­)
ÁÖÅõµ½Ãº¸Áõ°ø»ç(ÀÓÂ÷ÀÎ ÃÖº°ÀÌ): ¨ç°æ¸Å½Åûä±ÇÀڷμ­ `ÁÖÅÃÀÓ´ëÂ÷º¸È£¹ý` Á¦3Á¶ÀÇ 2 Á¦7Ç× Á¦9È£ÀÇ ¾ç¼öÀÎÀÓ ¨èÀÓÂ÷ÀÎ`ÃÖº°ÀÌ`´Â ÁÖÅÃÀÓÂ÷±ÇÀڷμ­ ÁÖÅÃÀÓÂ÷±Çµî±âÀÏÀº 2023.11.13.ÀÓ

¿©ÀÇÁÖ°æ¸Å Á¶¾ð ÇÑ ¸¶µð


ÁÖÀÇ»çÇ× (ÃÖ¼±¼øÀ§ ¼³Á¤ÀÏ: 2022.11.02. (¾Ð·ù) ¼³Á¤)

¸Å°¢À¸·Î ¼Ò¸êµÇÁö ¾Ê´Â µî±âºÎ±Ç¸®: ¸Å¼öÀο¡°Ô ´ëÇ×ÇÒ ¼ö ÀÖ´Â ÁÖÅÃÀÓÂ÷±ÇÀÚ(À»±¸11¹ø) ÀÖÀ½(ÀÓ´ëÂ÷º¸Áõ±Ý:154,000,000¿ø/ ÀüÀÔÀÏÀÚ:2021.10.01./ È®Á¤ÀÏÀÚ:2021.09.02.) ¹è´ç¿¡¼­ º¸Áõ±ÝÀÌ Àü¾× º¯Á¦µÇÁö ¾Ê´Â °æ¿ì Àܾ×À» ¸Å¼öÀÎÀÌ ÀμöÇÏ¿©¾ß ÇÔ
¸Å°¢À¸·Î ¼³Á¤µÈ °ÍÀ¸·Î º¸´Â Áö»ó±Ç:
¡Ø¹Ì³³°ü¸®ºñ(°ø¿ë) Àμö¿©ºÎ¸¦ ÀÔÂû Àü¿¡ È®ÀÎÇϽñ⠹ٶø´Ï´Ù

 

Áö¿ªºÐ¼®

ÁöÇÏö¸í Á÷¼±°Å¸®

Çб³¸í ÀüÈ­¹øÈ£ ÁÖ¼Ò Á÷¼±°Å¸®

¹ý¿ø

¼ö¿øÁö¹æ¹ý¿ø ¾È»êÁö¿ø (140-54)°æ±âµµ ¾È»ê½Ã ´Ü¿ø±¸ ±¤´ö¼­·Î 75 (°íÀܵ¿)
´ëÇ¥ : 031)481-1114, ¹Î¿ø : 031)481-1238, ¾ß°£ : 031)481-1112
°üÇÒÁö¿ª : ¾È»ê½Ã, ±¤¸í½Ã, ½ÃÈï½Ã

µî±â¼Ò ¼ö¿øÁö¹æ¹ý¿ø ¾È»êÁö¿ø µî±â°ú (´ëÇ¥:1544-0773, ÆÑ½º:(031)481-1290~1292, °æ±âµµ ¾È»ê½Ã ´Ü¿ø±¸ ±¤´ö¼­·Î 75 (°íÀܵ¿ 711))
¼¼¹«¼­ ¾È»ê¼¼¹«¼­ (´ëÇ¥:031-412-32, ÆÑ½º:031-412-3268, °æ±âµµ ¾È»ê½Ã ´Ü¿ø±¸ È­¶û·Î 350 (°íÀܵ¿ 517))

Àαٳ«ÂûÅë°è

±â°£ ¸Å°¢°Ç¼ö Æò±Õ°¨Á¤°¡
Æò±Õ¸Å°¢°¡
¸Å°¢°¡À²
Æò±ÕÀ¯Âû¼ö
3°³¿ù 11°Ç 172,909,091¿ø
111,179,438¿ø
61%
3.3ȸ
6°³¿ù 26°Ç 167,338,462¿ø
119,460,759¿ø
70%
3.1ȸ
12°³¿ù 49°Ç 194,057,143¿ø
137,234,505¿ø
72%
2.3ȸ


º» °æ¸ÅÁ¤º¸´Â ¹ý¿øÀÚ·á¿Í ÀÏÄ¡Çϵµ·Ï ÇÏ¿´À¸³ª ±Ç¸®»çÇ׺¯µ¿, ÀÔ·ÂÂø¿À µîÀÇ ¿øÀÎÀ¸·Î »ç½Ç°ú ´Ù¸¦ ¼ö ÀÖ½À´Ï´Ù. ÀÌ¿ë¾à°ü¿¡ ÀǰЏéÃ¥Á¶°ÇÀ¸·Î Á¦°øµÊÀ» ¾Ë¸®¸ç, °æ¸ÅÀÔÂû½Ã ¹Ýµå½Ã °ü·Ã °øºÎ¸¦ ÀçÈ®ÀÎÇϽñ⠹ٶø´Ï´Ù. º¸´Ù Æí¸®ÇÑ °æ¸ÅÁ¤º¸ Á¦°øÀ» À§ÇØ Áö¼ÓÀûÀ¸·Î °³¼±ÇϰڽÀ´Ï´Ù. ÀÌ¿ëÇØ Áּż­ °¨»çÇÕ´Ï´Ù.