·Î±×ÀÎ
313
ÀÓ¾ß
ÃáõÁö¹æ¹ý¿ø ¿øÁÖÁö¿ø
 °¨Á¤°¡428,978,000 ¿ø
 ÃÖÀú°¡(49%) 210,200,000 ¿ø
 º¸Áõ±Ý(10%) 21,020,000 ¿ø
 Ã»±¸¾×5,000,000 ¿ø
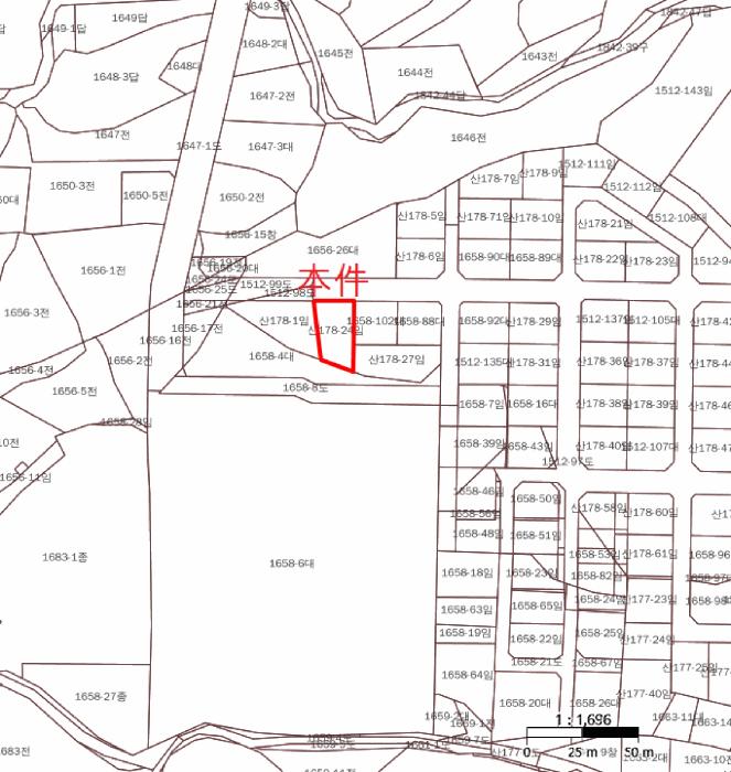
°­¿øÆ¯º°ÀÚÄ¡µµ ¿øÁֽà Ç౸µ¿ »ê178-24
»ç°Ç¹øÈ£ 2025Ÿ°æ442
°æ¸ÅÁ¾·ùºÎµ¿»êÀÓÀǰæ¸Å
¸Å°¢´ë»óÅäÁö¸Å°¢
¸Å°¢±âÀÏ    2026.06.22(¿ù) 10:00 ÀÔÂû 26ÀÏÀü    
ÅäÁö¸éÀû407.00§³(123.12 Æò)
°Ç¹°¸éÀû
乫/¼ÒÀ¯ÀÚÁÖOOO OOOO / ±³OOOOO OOOO
ä±ÇÀÚ¿¬OOOOOO
ÆäÀ̽ººÏ Æ®À§ÅÍ ±¸±Û+
īī¿À½ºÅ丮
īī¿ÀÅå sms¹®ÀÚº¸³»±â
 

±âÀϳ»¿ª

°æ°ú ³¯Â¥ Àú°¨ ÃÖÀú°¡ °á°ú
Á¢¼öÀÏ 2025-03-11 °æ¸ÅÁ¢¼ö
~1ÀÏ 
2025-03-12 °æ¸Å°³½Ã°áÁ¤
~97ÀÏ 
2025-06-16 ¹è´ç¿ä±¸Á¾±âÀÏ
~321ÀÏ 
2026-01-26 100%
428,978,000
º¯°æ
~398ÀÏ 
2026-04-13 100%
428,978,000
À¯Âû
~433ÀÏ 
2026-05-18 70%
300,285,000
À¯Âû
~468ÀÏ 
2026-06-22 49%
210,200,000
ÁøÇà
¹°°Ç¸í¼¼¼­ ÇöȲÁ¶»ç¼­ ¹®°ÇÁ¢¼ö ¼Û´Þ³»¿ª

°¨Á¤Æò°¡ÇöȲ

¸ñ·Ï ÁÖ¼Ò ±¸Á¶/¿ëµµ/´ëÁö±Ç ¸éÀû ºñ°í
ÅäÁö
Ç౸µ¿ »ê178-24 ÀÓ¾ß 407 §³
(123.12Æò)
1) À§Ä¡/°èȹ°ü¸®Áö¿ª/º¸Àü»êÁö/¹ö½ºÁ¤·ùÀå ´õº¸±â
°¨Á¤Æò°¡ ¿äÇ×Ç¥
1)À§Ä¡ ¹× ÁÖÀ§È¯°æ
°­¿øÆ¯º°ÀÚÄ¡µµ ¿øÁֽà Ç౸µ¿ ¼ÒÀç ""Ç౸µ¿ Çö´ë¾ÆÆÄÆ®"" ºÏÃø Àαٿ¡ À§Ä¡Çϸç, ÁÖÀ§´Â
±Ù¸°»ýȰ½Ã¼³, ¾÷¹«¿ë°Ç¹°, »ó°¡ÁÖÅÃ, ¾ÆÆÄÆ® µîÀ¸·Î Çü¼ºµÈ ¹Ì¼º¼÷ °³¹ßÁö´ëÀÓ.
2)±³Åë»óȲ
º»°Ç±îÁö Á¦¹Ý Â÷·®ÅëÇà °¡´ÉÇϸç, Àαٿ¡ ¹ö½ºÁ¤·ùÀåÀÌ ¼ÒÀçÇÏ¿© ´ëÁß±³Åë»çÁ¤ º¸ÅëÀÓ.
3)ÇüÅ ¹× ÀÌ¿ë»óÅÂ
»ç´Ù¸®Çü ÅäÁö·Î¼­ ¼­ÇÏÇ⠿ϰæ»çÁöÀ̸ç, '³ª´ëÁö' »óÅÂÀÓ.
4)ÀÎÁ¢ µµ·Î»óÅÂ
ºÏÃøÀ¸·Î Æø ¾à 10m Æ÷Àåµµ·Î¿¡ Á¢ÇÔ.
5)ÅäÁöÀÌ¿ë°èȹ ¹× Á¦ÇÑ»óÅÂ
°èȹ°ü¸®Áö¿ª, ¼ºÀå°ü¸®°èȹ±¸¿ª(2024-12-06), Áغ¸Àü»êÁö.
6)Á¦½Ã¸ñ·Ï ¿ÜÀÇ ¹°°Ç
¾øÀ½.
7)°øºÎ¿ÍÀÇ Â÷ÀÌ
¾øÀ½.
8)±âŸÂü°í»çÇ×(ÀÓ´ë°ü·Ê ¹× ±âŸ)
-
Âü°í
»çÇ×
- °øºÎ»ó ÀÓ¾ßÀ̳ª ÇöȲÀº ÅÃÁö ÇüÅÂÀÇ ÀâÁ¾Áö »óÅÂÀÓ - Áö»ó¿¡ ¸Å°¢¿¡¼­ Á¦¿ÜµÇ´Â ¼ÒÀ¯ÀÚ ¹Ì»óÀÇ ¼ö¸ñÀÌ ´Ù¼Ò ½ÄÀçµÇ¾î ÀÖÀ½


±¹ÅäºÎ½Ç°Å·¡°¡ °­¿øÆ¯º°ÀÚÄ¡µµ ¿øÁֽà Ç౸µ¿

°è¾àÀÏÁö¸ñ¿ëµµÁö¿ªµµ·Î°è¾à¸éÀû±Ý¾×±¸ºÐ
26.04.21´ä°èȹ°ü¸®-65200ÁöºÐ
26.04.08´ä°èȹ°ü¸®12m¹Ì¸¸432,000
26.04.08µµ·Î°èȹ°ü¸®-37700
26.03.25ÀӾ߰èȹ°ü¸®-1994120,000
26.03.20Àü°èȹ°ü¸®8m¹Ì¸¸34816,704
¢Ñ ´õº¸±â

µî±âºÎµîº» ¿ä¾à(ÅäÁö)

  Á¢¼öÀÏÀÚ µî±â¸ñÀû/±Ç¸®ÀÚ ±Ç¸®±Ý¾× ±âÁØ
1 2018³â8¿ù7ÀÏ
¼ÒÀ¯±Ç
(OOOO
¼Ò¸ê
2 2019³â11¿ù15ÀÏ
¾Ð·ù
¿øOO
¼Ò¸ê±âÁØ
3 2019³â12¿ù18ÀÏ
±ÙÀú´ç±Ç
¿¬OOOO
5,000,000 ¼Ò¸ê
4 2025³â3¿ù12ÀÏ
ÀÓÀǰæ¸Å
¿¬OOOO
¼Ò¸ê
5 2025³â3¿ù18ÀÏ
¾Ð·ù
±¹
¼Ò¸ê

ÀÓÂ÷ÀÎÇöȲ (¹è´ç¿ä±¸Á¾±âÀÏ: 2025-06-16)


Á¶»çµÈ ÀÓÂ÷³»¿ªÀÌ ¾ø½À´Ï´Ù


¿©ÀÇÁÖ°æ¸Å Á¶¾ð ÇÑ ¸¶µð

ÃëÇÏ ¶Ç´Â Ãë¼ÒµÉ °¡´É¼º ÀÖ½À´Ï´Ù
ÀÌ ¹°°ÇÀÇ °¨Á¤°¡°ÝÀº 428,978,000¿øÀÔ´Ï´Ù. °æ¸Å¸¦ ½ÅûÇÑ Ã¤±ÇÀÚ°¡ ¹è´ç ¹Þ¾Æ¾ß ÇÒ ±Ý¾×Àº 5,000,000¿øÀ¸·Î °¨Á¤°¡°Ý ´ëºñ »ó´çÈ÷ ÀûÀº ±Ý¾×ÀÔ´Ï´Ù. ÀÌ·± °æ¿ì, 乫°¡°¡ º¯Á¦ÇÏ¿© °æ¸Å¸¦ ÃëÇϽÃŰ°Å³ª °æ¸Å½Åûä±ÇÀÚ°¡ ¹è´ç¹ÞÀº ±Ý¿øÀÌ ¾ø°ÔµÇ¾î À̸¥ ¹Ù "¹«À׿©¿¡ ÀÇÇÑ Ãë¼Ò"°¡ µÉ °¡´É¼ºÀÌ ÀÖ½À´Ï´Ù.

ÁÖÀÇ»çÇ× (ÃÖ¼±¼øÀ§ ¼³Á¤ÀÏ: 2019.11.15. ¾Ð·ù ¼³Á¤)

¸Å°¢À¸·Î ¼Ò¸êµÇÁö ¾Ê´Â µî±âºÎ±Ç¸®:
¸Å°¢À¸·Î ¼³Á¤µÈ °ÍÀ¸·Î º¸´Â Áö»ó±Ç:
- °øºÎ»ó ÀÓ¾ßÀ̳ª ÇöȲÀº ÅÃÁö ÇüÅÂÀÇ ÀâÁ¾Áö »óÅÂÀÓ - Áö»ó¿¡ ¸Å°¢¿¡¼­ Á¦¿ÜµÇ´Â ¼ÒÀ¯ÀÚ ¹Ì»óÀÇ ¼ö¸ñÀÌ ´Ù¼Ò ½ÄÀçµÇ¾î ÀÖÀ½
¡Ø¹Ì³³°ü¸®ºñ(°ø¿ë) Àμö¿©ºÎ¸¦ ÀÔÂû Àü¿¡ È®ÀÎÇϽñ⠹ٶø´Ï´Ù

 

Áö¿ªºÐ¼®

ÁöÇÏö¸í Á÷¼±°Å¸®

Çб³¸í ÀüÈ­¹øÈ£ ÁÖ¼Ò Á÷¼±°Å¸®

¹ý¿ø

ÃáõÁö¹æ¹ý¿ø ¿øÁÖÁö¿ø (264-78)°­¿øµµ ¿øÁֽà ½Ãû·Î149 (¹«½Çµ¿)
´ëÇ¥ : 033)738-1000, ¾ß°£ : 033)738-1199
°üÇÒÁö¿ª : ¿øÁÖ½Ã, Ⱦ¼º±º

µî±â¼Ò ÃáõÁö¹æ¹ý¿ø ¿øÁÖÁö¿ø µî±â°ú (´ëÇ¥:1544-0773, ÆÑ½º:(033)743-5611, °­¿øµµ ¿øÁֽà ½Ãû·Î 149 (¹«½Çµ¿ 1800))
¼¼¹«¼­ ¼¼¹«¼­ (´ëÇ¥:, ÆÑ½º:, )

Àαٳ«ÂûÅë°è

±â°£ ¸Å°¢°Ç¼ö Æò±Õ°¨Á¤°¡
Æò±Õ¸Å°¢°¡
¸Å°¢°¡À²
Æò±ÕÀ¯Âû¼ö
3°³¿ù 11°Ç 446,459,087¿ø
92,999,091¿ø
19%
5.4ȸ
6°³¿ù 24°Ç 815,744,065¿ø
252,227,650¿ø
28%
4.5ȸ
12°³¿ù 47°Ç 578,457,773¿ø
196,098,313¿ø
37%
3.7ȸ


º» °æ¸ÅÁ¤º¸´Â ¹ý¿øÀÚ·á¿Í ÀÏÄ¡Çϵµ·Ï ÇÏ¿´À¸³ª ±Ç¸®»çÇ׺¯µ¿, ÀÔ·ÂÂø¿À µîÀÇ ¿øÀÎÀ¸·Î »ç½Ç°ú ´Ù¸¦ ¼ö ÀÖ½À´Ï´Ù. ÀÌ¿ë¾à°ü¿¡ ÀǰЏéÃ¥Á¶°ÇÀ¸·Î Á¦°øµÊÀ» ¾Ë¸®¸ç, °æ¸ÅÀÔÂû½Ã ¹Ýµå½Ã °ü·Ã °øºÎ¸¦ ÀçÈ®ÀÎÇϽñ⠹ٶø´Ï´Ù. º¸´Ù Æí¸®ÇÑ °æ¸ÅÁ¤º¸ Á¦°øÀ» À§ÇØ Áö¼ÓÀûÀ¸·Î °³¼±ÇϰڽÀ´Ï´Ù. ÀÌ¿ëÇØ Áּż­ °¨»çÇÕ´Ï´Ù.