·Î±×ÀÎ
294
Àü
´ë±¸Áö¹æ¹ý¿ø °æÁÖÁö¿ø
 °¨Á¤°¡79,685,000 ¿ø
 ÃÖÀú°¡(49%) 39,046,000 ¿ø
 º¸Áõ±Ý(10%) 3,904,600 ¿ø
 Ã»±¸¾×20,000,000 ¿ø
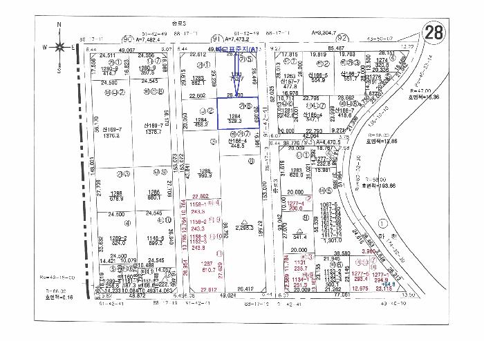
°æ»óºÏµµ °æÁֽà õ±ºµ¿ 1156-4
»ç°Ç¹øÈ£ 2025Ÿ°æ10527
°æ¸ÅÁ¾·ùºÎµ¿»êÀÓÀǰæ¸Å
¸Å°¢´ë»óÅäÁöÁöºÐ¸Å°¢
¸Å°¢±âÀÏ    2026.05.26(È­) 10:00 (¿À´Ã ÀÔÂû)    
ÅäÁö¸éÀû136.00§³(41.14 Æò)
°Ç¹°¸éÀû
乫/¼ÒÀ¯ÀÚÀÌOO / ÀÌOO
ä±ÇÀÚÀÌOO
ÆäÀ̽ººÏ Æ®À§ÅÍ ±¸±Û+
īī¿À½ºÅ丮
īī¿ÀÅå sms¹®ÀÚº¸³»±â
 

±âÀϳ»¿ª

°æ°ú ³¯Â¥ Àú°¨ ÃÖÀú°¡ °á°ú
Á¢¼öÀÏ 2025-05-27 °æ¸ÅÁ¢¼ö
~6ÀÏ 
2025-06-02 °æ¸Å°³½Ã°áÁ¤
~79ÀÏ 
2025-08-14 ¹è´ç¿ä±¸Á¾±âÀÏ
~301ÀÏ 
2026-03-24 100%
79,685,000
À¯Âû
~329ÀÏ 
2026-04-21 70%
55,780,000
À¯Âû
~364ÀÏ 
2026-05-26 49%
39,046,000
ÁøÇà
¹°°Ç¸í¼¼¼­ ÇöȲÁ¶»ç¼­ ¹®°ÇÁ¢¼ö ¼Û´Þ³»¿ª

°¨Á¤Æò°¡ÇöȲ

¸ñ·Ï ÁÖ¼Ò ±¸Á¶/¿ëµµ/´ëÁö±Ç ¸éÀû ºñ°í
ÅäÁö
õ±ºµ¿ 1156-4 Àü 136 §³
(41.14Æò)
ÁöºÐ 1014ºÐÀÇ 136 ÀüºÎ
1) À§Ä¡/Á¦2Á¾ÀϹÝÁÖ°ÅÁö¿ª/Áö±¸´ÜÀ§°èȹ±¸¿ª/°£¼±µµ·Î ´õº¸±â
°¨Á¤Æò°¡ ¿äÇ×Ç¥
1)À§Ä¡ ¹× ÁÖÀ§È¯°æ
º»°ÇÀº °æ»óºÏµµ °æÁֽà õ±ºµ¿ ¼ÒÀç 'º¸¹®Ãµ±ºÁö±¸ µµ½Ã°³¹ß»ç¾÷' ³»¿¡ À§Ä¡Çϸç, ÁÖÀ§ÀÏ´ë´Â µµ½Ã°³¹ß»ç¾÷ Åä¸ñ°ø»ç°¡ ÁøÇàÁßÀÎ »óÅ·μ­ ÁÖÀ§È¯°æ ¹× ÀÔÁöÁ¶°Ç º¸ÅëÀÔ´Ï´Ù.
2)±³Åë»óȲ
º»°Ç±îÁö Á¦¹Ý Â÷·® Á¢±Ù °¡´ÉÇϸç, °£¼±µµ·Î¿ÍÀÇ °Å¸® ¹× ±³Åë½Ã¼³°úÀÇ Á¢±Ù¼º µîÀ¸·Î º¸¾Æ Á¦¹Ý ±³Åë»óȲÀº º¸ÅëÀÔ´Ï´Ù.
3)ÇüÅ ¹× ÀÌ¿ë»óÅÂ
ȯÁöµµ¸é»ó Á¤¹æÇüÀÇ ÅäÁö·Î¼­ ³ªÁö»óÅÂÀÔ´Ï´Ù.
4)ÀÎÁ¢ µµ·Î»óÅÂ
ȯÁöµµ¸é»ó ³²ÃøÀ¸·Î ³ëÆø ¾à 8¹ÌÅÍÀÇ µµ·Î¿Í Á¢Çϰí ÀÖ½À´Ï´Ù.
5)ÅäÁöÀÌ¿ë°èȹ ¹× Á¦ÇÑ»óÅÂ
Á¦2Á¾ÀϹÝÁÖ°ÅÁö¿ª, °íµµÁö±¸(2022-08-08)(81mÀÌÇÏ(27ÃþÀÌÇÏ)), Áö±¸´ÜÀ§°èȹ±¸¿ª, ¼Ò·Î2·ù(Æø 8m~10m)(ÀúÃË), °¡Ãà»çÀ°Á¦Çѱ¸¿ª(ÀϺÎÁ¦ÇÑ(200))<°¡ÃàºÐ´¢ÀÇ °ü¸® ¹× À̿뿡 °üÇÑ ¹ý·ü>, µµ½Ã°³¹ß±¸¿ª<µµ½Ã°³¹ß¹ý>ÀÔ´Ï´Ù.
6)Á¦½Ã¸ñ·Ï ¿ÜÀÇ ¹°°Ç
¾ø½À´Ï´Ù.
7)°øºÎ¿ÍÀÇ Â÷ÀÌ
º»°ÇÀº °øºÎ»ó Áö¸ñÀÌ'Àü'À̳ª, ȯÁö¿¹Á¤Áö·Î¼­ ÇöȲ '´ë'ÀÔ´Ï´Ù.
8)±âŸÂü°í»çÇ×(ÀÓ´ë°ü·Ê ¹× ±âŸ)
ÀÓ´ë°ü°è ¹Ì»óÀ̸ç, ±âŸ»çÇ× ¾ø½À´Ï´Ù.
Âü°í
»çÇ×
ÁöºÐ¸Å°¢.°øÀ¯ÀÚ¿ì¼±¸Å¼ö±ÇÇà»çÁ¦ÇÑÀÖÀ½(1ȸ¿¡ ÇÑÇÔ).ȯÁö¿¹Á¤Áö(º¸¹®Ãµ±ºÁö±¸ 98B-7L)·Î¼­ ȯÁö¸éÀû( 475.3§³)À» ¼ÒÀ¯ÀÚ ÁöºÐÀ¸·Î »çÁ¤ÇÏ¿© Æò°¡ÇÔ.ÇöȲÁ¶»ç´ç½Ã õ±ºµµ½Ã°³¹ßÁö±¸ ³» Çö´ë°Ç¼³ÀÌ À¯Ä¡±ÇÇà»ç ÁßÀ̶ó´Â Çö¼ö¸· °É·Á ÀÖÀ½.
õ±ºµµ½Ã°³¹ßÁö±¸ ³» Çö´ë°Ç¼³ÀÌ À¯Ä¡±Ç Çà»ç ÁßÀ̶ó´Â Çö¼ö¸·ÀÌ °É·Á ÀÖÀ½.


±¹ÅäºÎ½Ç°Å·¡°¡ °æ»óºÏµµ °æÁֽà õ±ºµ¿

°è¾àÀÏÁö¸ñ¿ëµµÁö¿ªµµ·Î°è¾à¸éÀû±Ý¾×±¸ºÐ
26.03.16´äÀÚ¿¬³ìÁö25m¹Ì¸¸8768,000
25.12.23´äÀÚ¿¬³ìÁö8m¹Ì¸¸1665,022ÁöºÐ
25.12.16ÀÓ¾ßÁ¦2Á¾ÀϹÝÁÖ°Å-5622,000ÁöºÐ
25.12.09ÀӾߺ¸Àü³ìÁö-1788.253,000ÁöºÐ
25.11.28´äÁ¦2Á¾ÀϹÝÁÖ°Å-165.253,500ÁöºÐ
¢Ñ ´õº¸±â

µî±âºÎµîº» ¿ä¾à(ÅäÁö)

  Á¢¼öÀÏÀÚ µî±â¸ñÀû/±Ç¸®ÀÚ ±Ç¸®±Ý¾× ±âÁØ
1 2014³â11¿ù14ÀÏ
¼ÒÀ¯±Ç
ȲOO
¼Ò¸ê
2 2016³â6¿ù3ÀÏ
¼ÒÀ¯±Ç
ÀÌOO
¼Ò¸ê
3 2014³â11¿ù14ÀÏ
¼ÒÀ¯±Ç
ÀÌOO
¼Ò¸ê
4 2016³â6¿ù3ÀÏ
¼ÒÀ¯±Ç
¾çOO
¼Ò¸ê
5 2014³â11¿ù19ÀÏ
¼ÒÀ¯±Ç
¹èOO
¼Ò¸ê
6 2014³â11¿ù19ÀÏ
¼ÒÀ¯±Ç
³ëOO
¼Ò¸ê
7 2014³â11¿ù14ÀÏ
¼ÒÀ¯±Ç
±èOO
¼Ò¸ê
8 2023³â6¿ù22ÀÏ
±ÙÀú´ç±Ç
¹«OOOO
91,000,000 ¼Ò¸ê±âÁØ
9 2024³â12¿ù4ÀÏ
±ÙÀú´ç±Ç
ÀÌOO
20,000,000 ¼Ò¸ê
10 2025³â6¿ù2ÀÏ
ÀÓÀǰæ¸Å
ÀÌOO
¼Ò¸ê

ÀÓÂ÷ÀÎÇöȲ (¹è´ç¿ä±¸Á¾±âÀÏ: 2025-08-14)


Á¶»çµÈ ÀÓÂ÷³»¿ªÀÌ ¾ø½À´Ï´Ù


¿©ÀÇÁÖ°æ¸Å Á¶¾ð ÇÑ ¸¶µð

ÁöºÐ°æ¸Å ¹°°ÇÀÌ Æ÷ÇԵǾî ÀÖ½À´Ï´Ù
¿©·¯ ¸íÀÌ °øµ¿À¸·Î ¼ÒÀ¯ÇÏ´Â ºÎµ¿»êÀÇ ÀϺθ¸ °æ¸Å·Î ³ª¿Â °ÍÀ» ÁöºÐ°æ¸Å¶ó°í ÇÕ´Ï´Ù. ¼ÒÀ¯ºÎºÐÀÌ Æ¯Á¤µÇÁö ¾Ê¾Æ »ç¿ë¿¡ Á¦¾àÀÌ µû¸¦ ¼ö ÀÖÀ¸¸ç °øÀ¯ÀÚ°£¿¡ ºÐÀïµµ ¹ß»ýÇÒ ¼ö ÀÖ½À´Ï´Ù. °øÀ¯ÀÚ´Â °øÀ¯ÀÚ¿ì¼±¸Å¼öû±¸±Ç¸®°¡ ÀÖ½À´Ï´Ù.
À¯Ä¡±Ç½Å°í°¡ ÀÖ´Â ¹°°ÇÀÔ´Ï´Ù
À¯Ä¡±ÇÀ̶õ ŸÀÎÀÇ ºÎµ¿»êÀ» Á¡À¯Çϰí ÀÖ´Â ÀÚ°¡ ±× ºÎµ¿»ê¿¡ °üÇÏ¿© »ý±ä (°ø»ç´ë±Ý)ä±ÇÀÌ ÀÖ´Â °æ¿ì ±× ä±ÇÀ» º¯Á¦¹ÞÀ» ¶§±îÁö ºÎµ¿»êÀÇ Àεµ¸¦ °ÅÀýÇϰí À¯Ä¡ÇÒ ¼ö ÀÖ´Â ±Ç¸®ÀÔ´Ï´Ù. ÁøÁ¤ÇÑ À¯Ä¡±ÇÀº ³«Âû·Î ¸»¼ÒµÇÁö ¾Ê°í ³«ÂûÀÚ°¡ ±× ºÎ´ãÀ» ÀμöÇÕ´Ï´Ù. ±×·±µ¥, À¯Ä¡±ÇÀº °ß·Ã¼º, ÇǴ㺸ä±Ç, º¯Á¦±â, Á¡À¯ µî ±× ¼º¸³ ¹× Á¸¼Ó¿ä°ÇÀÌ ¸Å¿ì ¾ö°ÝÇÏ¿© ½ÇÁ¦ À¯Ä¡±ÇÀÌ ¼º¸³ÇÏ´Â °æ¿ì´Â ±ØÈ÷ µå¹´´Ï´Ù.
ÃëÇÏ ¶Ç´Â Ãë¼ÒµÉ °¡´É¼º ÀÖ½À´Ï´Ù
ÀÌ ¹°°ÇÀÇ °¨Á¤°¡°ÝÀº 79,685,000¿øÀÔ´Ï´Ù. °æ¸Å¸¦ ½ÅûÇÑ Ã¤±ÇÀÚ°¡ ¹è´ç ¹Þ¾Æ¾ß ÇÒ ±Ý¾×Àº 20,000,000¿øÀ¸·Î °¨Á¤°¡°Ý ´ëºñ »ó´çÈ÷ ÀûÀº ±Ý¾×ÀÔ´Ï´Ù. ÀÌ·± °æ¿ì, 乫°¡°¡ º¯Á¦ÇÏ¿© °æ¸Å¸¦ ÃëÇϽÃŰ°Å³ª °æ¸Å½Åûä±ÇÀÚ°¡ ¹è´ç¹ÞÀº ±Ý¿øÀÌ ¾ø°ÔµÇ¾î À̸¥ ¹Ù "¹«À׿©¿¡ ÀÇÇÑ Ãë¼Ò"°¡ µÉ °¡´É¼ºÀÌ ÀÖ½À´Ï´Ù.

ÁÖÀÇ»çÇ× (ÃÖ¼±¼øÀ§ ¼³Á¤ÀÏ: 2024.12.4. ±ÙÀú´ç±Ç ¼³Á¤)

¸Å°¢À¸·Î ¼Ò¸êµÇÁö ¾Ê´Â µî±âºÎ±Ç¸®:
¸Å°¢À¸·Î ¼³Á¤µÈ °ÍÀ¸·Î º¸´Â Áö»ó±Ç:
ÁöºÐ¸Å°¢.°øÀ¯ÀÚ¿ì¼±¸Å¼ö±ÇÇà»çÁ¦ÇÑÀÖÀ½(1ȸ¿¡ ÇÑÇÔ).ȯÁö¿¹Á¤Áö(º¸¹®Ãµ±ºÁö±¸ 98B-7L)·Î¼­ ȯÁö¸éÀû( 475.3§³)À» ¼ÒÀ¯ÀÚ ÁöºÐ À¸·Î »çÁ¤ÇÏ¿© Æò°¡ÇÔ.ÇöȲÁ¶»ç´ç½Ã õ±ºµµ½Ã°³¹ßÁö±¸ ³» Çö´ë°Ç¼³ÀÌ À¯Ä¡±ÇÇà»ç ÁßÀ̶ó´Â Çö¼ö¸· °É·Á ÀÖÀ½.
¡Ø¹Ì³³°ü¸®ºñ(°ø¿ë) Àμö¿©ºÎ¸¦ ÀÔÂû Àü¿¡ È®ÀÎÇϽñ⠹ٶø´Ï´Ù

 

Áö¿ªºÐ¼®

ÁöÇÏö¸í Á÷¼±°Å¸®

Çб³¸í ÀüÈ­¹øÈ£ ÁÖ¼Ò Á÷¼±°Å¸®

¹ý¿ø

´ë±¸Áö¹æ¹ý¿ø °æÁÖÁö¿ø (381-45)°æ»óºÏµµ °æÁֽà ȭ¶û·Î 89 (µ¿ºÎµ¿ 203)
´ëÇ¥ : 054)770-4300, ¾ß°£ : 054)770-4380
°üÇÒÁö¿ª : °æÁÖ½Ã

µî±â¼Ò ´ë±¸Áö¹æ¹ý¿ø °æÁÖÁö¿ø µî±â°è (´ëÇ¥:1544-0773, ÆÑ½º:(054)742-9346, °æºÏ °æÁֽà ȭ¶û·Î 89 (µ¿ºÎµ¿ 203))
¼¼¹«¼­ °æÁÖ¼¼¹«¼­ (´ëÇ¥:054-779-12, ÆÑ½º:054-743-4408, °æ»óºÏµµ °æÁֽà ¿øÈ­·Î 335 (¼ºµ¿µ¿))

Àαٳ«ÂûÅë°è

±â°£ ¸Å°¢°Ç¼ö Æò±Õ°¨Á¤°¡
Æò±Õ¸Å°¢°¡
¸Å°¢°¡À²
Æò±ÕÀ¯Âû¼ö
3°³¿ù 29°Ç 187,010,360¿ø
67,101,514¿ø
43%
3.3ȸ
6°³¿ù 59°Ç 214,810,931¿ø
77,127,908¿ø
40%
3.4ȸ
12°³¿ù 125°Ç 182,377,947¿ø
66,456,015¿ø
39%
3.5ȸ


º» °æ¸ÅÁ¤º¸´Â ¹ý¿øÀÚ·á¿Í ÀÏÄ¡Çϵµ·Ï ÇÏ¿´À¸³ª ±Ç¸®»çÇ׺¯µ¿, ÀÔ·ÂÂø¿À µîÀÇ ¿øÀÎÀ¸·Î »ç½Ç°ú ´Ù¸¦ ¼ö ÀÖ½À´Ï´Ù. ÀÌ¿ë¾à°ü¿¡ ÀǰЏéÃ¥Á¶°ÇÀ¸·Î Á¦°øµÊÀ» ¾Ë¸®¸ç, °æ¸ÅÀÔÂû½Ã ¹Ýµå½Ã °ü·Ã °øºÎ¸¦ ÀçÈ®ÀÎÇϽñ⠹ٶø´Ï´Ù. º¸´Ù Æí¸®ÇÑ °æ¸ÅÁ¤º¸ Á¦°øÀ» À§ÇØ Áö¼ÓÀûÀ¸·Î °³¼±ÇϰڽÀ´Ï´Ù. ÀÌ¿ëÇØ Áּż­ °¨»çÇÕ´Ï´Ù.