·Î±×ÀÎ
25
´ëÁö
±¤ÁÖÁö¹æ¹ý¿ø ¼øÃµÁö¿ø
 °¨Á¤°¡236,160,000 ¿ø
 ÃÖÀú°¡(100%) 236,160,000 ¿ø
 º¸Áõ±Ý(10%) 23,616,000 ¿ø
 Ã»±¸¾×137,693,219 ¿ø
Àü¶ó³²µµ ±¤¾ç½Ã ¿Á°î¸é ½Å±Ý¸® 1706
»ç°Ç¹øÈ£ 2025Ÿ°æ692
°æ¸ÅÁ¾·ùºÎµ¿»êÀÓÀǰæ¸Å
¸Å°¢´ë»óÅäÁö¸Å°¢
¸Å°¢±âÀÏ    2026.03.03(È­) 10:00 ÀÔÂû 9ÀÏÀü    
ÅäÁö¸éÀû307.50§³(93.02 Æò)
°Ç¹°¸éÀû
乫/¼ÒÀ¯ÀÚÁÖOOOOOOO¿Ü 1¸í / ÁÖOOOOOOO¿Ü 1¸í
ä±ÇÀÚÀüOOOOOOOO
ÆäÀ̽ººÏ Æ®À§ÅÍ ±¸±Û+
īī¿À½ºÅ丮
īī¿ÀÅå sms¹®ÀÚº¸³»±â
 

±âÀϳ»¿ª

°æ°ú ³¯Â¥ Àú°¨ ÃÖÀú°¡ °á°ú
Á¢¼öÀÏ 2025-11-03 °æ¸ÅÁ¢¼ö
~1ÀÏ 
2025-11-04 °æ¸Å°³½Ã°áÁ¤
~87ÀÏ 
2026-01-29 ¹è´ç¿ä±¸Á¾±âÀÏ
~120ÀÏ 
2026-03-03 100%
236,160,000
ÁøÇà
¹°°Ç¸í¼¼¼­ ÇöȲÁ¶»ç¼­ ¹®°ÇÁ¢¼ö ¼Û´Þ³»¿ª

°¨Á¤Æò°¡ÇöȲ

¸ñ·Ï ÁÖ¼Ò ±¸Á¶/¿ëµµ/´ëÁö±Ç ¸éÀû ºñ°í
ÅäÁö
½Å±Ý¸® 1706 ´ë 307.5 §³
(93.02Æò)
1) À§Ä¡/ÁØÁÖ°ÅÁö¿ª/Áö±¸´ÜÀ§°èȹ±¸¿ª ´õº¸±â
°¨Á¤Æò°¡ ¿äÇ×Ç¥
1)À§Ä¡ ¹× ÁÖÀ§È¯°æ
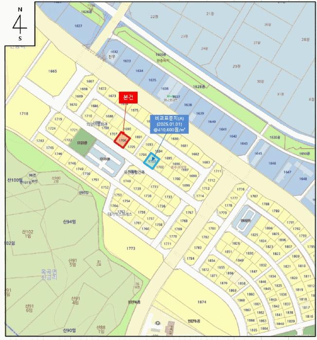
º»°ÇÀº Àü¶ó³²µµ ±¤¾ç½Ã ¿Á°î¸é ½Å±Ý¸® ¼ÒÀç "±¤¾ç½Å±ÝÀϹݻê¾÷´ÜÁö" ³²Ãø Àαٿ¡ À§Ä¡Çϸç, ºÎ±ÙÀº °øµ¿ÁÖÅÃ(¾ÆÆÄÆ®)°ú »ó¾÷ ¹× ÁְųªÁö µîÀ¸·Î Çü¼ºµÈ ¹Ì¼º¼÷ ÅÃÁö°³¹ßÁö±¸(±¤¿µ.ÀǾÏÁö±¸) ³»ÀÓ.
2)±³Åë»óȲ
ÀαÙÀ¸·Î µµ·Î¸ÁÀÌ Á¤ºñµÇ¾î ÀÖ¾î ÀϹÝÀûÀÎ ±³Åë»óȲÀº ¹«³­½ÃµÊ.
3)ÇüÅ ¹× ÀÌ¿ë»óÅÂ
À¯»ç Á¤¹æÇüÀÇ ÅäÁö·Î¼­, »ó¾÷³ªÁöÀÓ.
4)ÀÎÁ¢ µµ·Î»óÅÂ
³²ÃøÀ¸·Î ³ëÆø ¾à12¹ÌÅÍ Æ÷Àåµµ·Î¿¡ Á¢ÇÔ.
5)ÅäÁöÀÌ¿ë°èȹ ¹× Á¦ÇÑ»óÅÂ
ÁØÁÖ°ÅÁö¿ª, Áö±¸´ÜÀ§°èȹ±¸¿ª, °¡Ãà»çÀ°Á¦Çѱ¸¿ªÀÓ.
6)Á¦½Ã¸ñ·Ï ¿ÜÀÇ ¹°°Ç
¾ø À½.
7)°øºÎ¿ÍÀÇ Â÷ÀÌ
¾ø À½.
8)±âŸÂü°í»çÇ×(ÀÓ´ë°ü·Ê ¹× ±âŸ)
ÇöÀç ³ªÁö·Î ÀÓ´ë¿©ºÎ´Â ¹Ì»óÀÓ.
Âü°í
»çÇ×

º»°ÇÀº Àü¶ó³²µµ ±¤¾ç½Ã ¿Á°î¸é ½Å±Ý¸®¿¡ À§Ä¡ÇÑ °øºÎ»ó ´ëÁö·Î ³²Ãø Àαٿ¡ ¾Æ½ºÆÈÆ®·Î Æ÷ÀåµÈ µµ·Î°¡ ¼ÒÀçÇÔ.


±¹ÅäºÎ½Ç°Å·¡°¡ Àü¶ó³²µµ ±¤¾ç½Ã ¿Á°î¸é

°è¾àÀÏÁö¸ñ¿ëµµÁö¿ªµµ·Î°è¾à¸éÀû±Ý¾×±¸ºÐ
26.02.12Àüº¸Àü°ü¸®-502760
26.02.06Àüº¸Àü°ü¸®8m¹Ì¸¸24608,100
26.01.28´ä»ý»ê°ü¸®-19118,090
26.01.26Àüº¸Àü³ìÁö-41311
26.01.20´äÁ¦1Á¾ÀϹÝÁÖ°Å8m¹Ì¸¸146613,200
¢Ñ ´õº¸±â

µî±âºÎµîº» ¿ä¾à(ÅäÁö)

  Á¢¼öÀÏÀÚ µî±â¸ñÀû/±Ç¸®ÀÚ ±Ç¸®±Ý¾× ±âÁØ
1 2021³â11¿ù16ÀÏ
¼ÒÀ¯±Ç
(OOOO
¼Ò¸ê
2 2019³â12¿ù16ÀÏ
±ÙÀú´ç±Ç
ÀüOOOO
156,000,000 ¼Ò¸ê±âÁØ
3 2019³â12¿ù16ÀÏ
Áö»ó±Ç
ÀüOOOO
¼Ò¸ê
4 2023³â7¿ù27ÀÏ
¾Ð·ù
±¹
¼Ò¸ê
5 2025³â1¿ù13ÀÏ
¾Ð·ù
±¤OO
¼Ò¸ê
6 2025³â1¿ù23ÀÏ
°ø¸Å°ø°í
¼Ò¸ê
7 2025³â11¿ù4ÀÏ
ÀÓÀǰæ¸Å
ÀüOOOO
¼Ò¸ê
8 2026³â1¿ù16ÀÏ
°¡¾Ð·ù
±¤OOOO
100,000,000 ¼Ò¸ê

ÀÓÂ÷ÀÎÇöȲ (¹è´ç¿ä±¸Á¾±âÀÏ: 2026-01-29)



¸Å°¢±âÀÏ 7ÀÏÀü¿¡ °ø°íµÇ¿À´Ï È®ÀÎÇϽñ⠹ٶø´Ï´Ù.


¿©ÀÇÁÖ°æ¸Å Á¶¾ð ÇÑ ¸¶µð


ÁÖÀÇ»çÇ× (ÃÖ¼±¼øÀ§ ¼³Á¤ÀÏ: )

¸Å°¢À¸·Î ¼Ò¸êµÇÁö ¾Ê´Â µî±âºÎ±Ç¸®:
¸Å°¢À¸·Î ¼³Á¤µÈ °ÍÀ¸·Î º¸´Â Áö»ó±Ç:
¡Ø¹Ì³³°ü¸®ºñ(°ø¿ë) Àμö¿©ºÎ¸¦ ÀÔÂû Àü¿¡ È®ÀÎÇϽñ⠹ٶø´Ï´Ù

 

Áö¿ªºÐ¼®

ÁöÇÏö¸í Á÷¼±°Å¸®

Çб³¸í ÀüÈ­¹øÈ£ ÁÖ¼Ò Á÷¼±°Å¸®

¹ý¿ø

±¤ÁÖÁö¹æ¹ý¿ø ¼øÃµÁö¿ø (579-32)Àü¶ó³²µµ ¼øÃµ½Ã ¿ÕÁö·Î 21 (¿ÕÁöµ¿)
´ëÇ¥ : 061)729-5114
°üÇÒÁö¿ª : ¼øÃµ½Ã, ¿©¼ö½Ã, ±¤¾ç½Ã, °íÈﱺ, º¸¼º±º, ±¸·Ê±º

µî±â¼Ò ±¤ÁÖÁö¹æ¹ý¿ø ¼øÃµÁö¿ø ±¤¾çµî±â¼Ò (´ëÇ¥:1544-0773, ÆÑ½º:(061)791-5710, Àü³² ±¤¾ç½Ã Áßµ¿·Î 80 (Áßµ¿ 1314-1))
¼¼¹«¼­ ¼øÃµ¼¼¹«¼­ (´ëÇ¥:061-720-02, ÆÑ½º:061-723-6677, Àü¶ó³²µµ ¼øÃµ½Ã ¿¬Çâ¹ø¿µ±æ 64 (¿¬Ç⵿))

Àαٳ«ÂûÅë°è

±â°£ ¸Å°¢°Ç¼ö Æò±Õ°¨Á¤°¡
Æò±Õ¸Å°¢°¡
¸Å°¢°¡À²
Æò±ÕÀ¯Âû¼ö


º» °æ¸ÅÁ¤º¸´Â ¹ý¿øÀÚ·á¿Í ÀÏÄ¡Çϵµ·Ï ÇÏ¿´À¸³ª ±Ç¸®»çÇ׺¯µ¿, ÀÔ·ÂÂø¿À µîÀÇ ¿øÀÎÀ¸·Î »ç½Ç°ú ´Ù¸¦ ¼ö ÀÖ½À´Ï´Ù. ÀÌ¿ë¾à°ü¿¡ ÀǰЏéÃ¥Á¶°ÇÀ¸·Î Á¦°øµÊÀ» ¾Ë¸®¸ç, °æ¸ÅÀÔÂû½Ã ¹Ýµå½Ã °ü·Ã °øºÎ¸¦ ÀçÈ®ÀÎÇϽñ⠹ٶø´Ï´Ù. º¸´Ù Æí¸®ÇÑ °æ¸ÅÁ¤º¸ Á¦°øÀ» À§ÇØ Áö¼ÓÀûÀ¸·Î °³¼±ÇϰڽÀ´Ï´Ù. ÀÌ¿ëÇØ Áּż­ °¨»çÇÕ´Ï´Ù.