·Î±×ÀÎ
1104
Àü
ÀüÁÖÁö¹æ¹ý¿ø Á¤À¾Áö¿ø
 °¨Á¤°¡30,871,540 ¿ø
 ÃÖÀú°¡(70%) 21,610,000 ¿ø
 º¸Áõ±Ý(10%) 2,161,000 ¿ø
 Ã»±¸¾×0 ¿ø
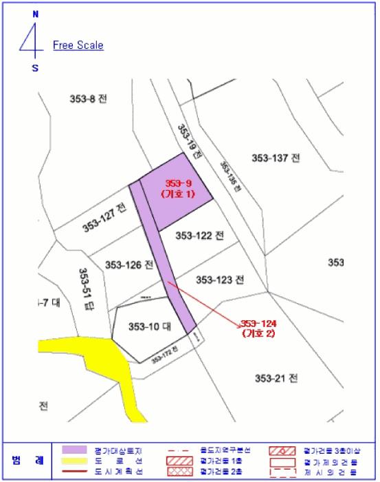
ÀüºÏƯº°ÀÚÄ¡µµ ºÎ¾È±º º¯»ê¸é ¿î»ê¸® 353-9
»ç°Ç¹øÈ£ 2025Ÿ°æ30332
°æ¸ÅÁ¾·ùû»êÀ»À§ÇÑÇü½ÄÀû°æ¸Å
¸Å°¢´ë»óÅäÁöÁöºÐ¸Å°¢
¸Å°¢±âÀÏ    2026.03.23(¿ù) 10:00 ÀÔÂû 23ÀÏÀü    
ÅäÁö¸éÀû370.66§³(112.12 Æò)
°Ç¹°¸éÀû
乫/¼ÒÀ¯ÀÚ / ¹ÚOO
ä±ÇÀÚ
ÆäÀ̽ººÏ Æ®À§ÅÍ ±¸±Û+
īī¿À½ºÅ丮
īī¿ÀÅå sms¹®ÀÚº¸³»±â
 

±âÀϳ»¿ª

°æ°ú ³¯Â¥ Àú°¨ ÃÖÀú°¡ °á°ú
Á¢¼öÀÏ 2025-07-09 °æ¸ÅÁ¢¼ö
~2ÀÏ 
2025-07-11 °æ¸Å°³½Ã°áÁ¤
~96ÀÏ 
2025-10-13 ¹è´ç¿ä±¸Á¾±âÀÏ
~215ÀÏ 
2026-02-09 100%
30,871,540
À¯Âû
~257ÀÏ 
2026-03-23 70%
21,610,000
ÁøÇà
¹°°Ç¸í¼¼¼­ ÇöȲÁ¶»ç¼­ ¹®°ÇÁ¢¼ö ¼Û´Þ³»¿ª

°¨Á¤Æò°¡ÇöȲ

¸ñ·Ï ÁÖ¼Ò ±¸Á¶/¿ëµµ/´ëÁö±Ç ¸éÀû ºñ°í
ÅäÁö
¿î»ê¸® 353-9 Àü 331 §³
(100.13Æò)
¿î»ê¸® 353-124 Àü 39.66 §³
(12.00Æò)
ÁöºÐ 204ºÐÀÇ 39.66 ÀüºÎ
1) À§Ä¡/»ý»ê°ü¸®Áö¿ª/Â÷·® Á¢±ÙÀÌ °¡´É ´õº¸±â
°¨Á¤Æò°¡ ¿äÇ×Ç¥
1)À§Ä¡ ¹× ÁÖÀ§È¯°æ
´ë»óÅäÁö´Â ÀüºÏƯº°ÀÚÄ¡µµ ºÎ¾È±º º¯»ê¸é ¿î»ê¸®¿¡ ¼ÒÀçÇÏ´Â ""¿î»ê¹®È­¸¶À»"" ¼­Ãø Àαٿ¡ À§Ä¡Çϸç, ÁÖÀ§È¯°æÀº ´Üµ¶ÁÖÅà ¹× Ææ¼Ç, Àü, ´ä µîÀÇ ³ó°æÁö µîÀÌ È¥ÀçÇϸç, ±Ù°Å¸®¿¡ °í»çÆ÷ÇØ¼ö¿åÀåÀÌ À§Ä¡ÇÏ´Â ÇØ¾È°¡ÁÖº¯ ³óÃÌÁö¿ªÀÔ´Ï´Ù.
2)±³Åë»óȲ
´ë»óÅäÁö ÀαٱîÁö Â÷·® Á¢±ÙÀÌ °¡´ÉÇϰí, ºÏ¼­Ãø Àαٿ¡ ±¹µµ 30¹øÀÌ À§Ä¡Çϰí ÀÖ¾î Àα٠Áö¿ªÀ¸·ÎÀÇ À̵¿ÀÌ ¼ö¿ùÇϸç, Á¦¹Ý ±³Åë»óȲÀº µîÀº º¸ÅëÀÔ´Ï´Ù.
3)ÇüÅ ¹× ÀÌ¿ë»óÅÂ
±âÈ£ 1, 2)´Â »ç´Ù¸®Çü ¹× ¼¼ÀåÇüÀÇ ÅäÁö·Î¼­, Á¶»çÀÏ ÇöÀç Àü(ÈÞ°æÁö) µîÀÇ »óÅÂÀÔ´Ï´Ù.
4)ÀÎÁ¢ µµ·Î»óÅÂ
±âÈ£ 1, 2)´Â ÁöÀû ¹× ÇöȲ»ó ¸ÍÁöÀÔ´Ï´Ù.
5)ÅäÁöÀÌ¿ë°èȹ ¹× Á¦ÇÑ»óÅÂ
±âÈ£ 1, 2)´Â »ý»ê°ü¸®Áö¿ª, °¡Ãà»çÀ°Á¦Çѱ¸¿ª(2019-01-29)(ÀϺÎÁ¦Çѱ¸¿ªÁß ¸ðµçÃàÁ¾»çÀ°Á¦ÇÑ)
<°¡ÃàºÐ´¢ÀÇ °ü¸® ¹× À̿뿡 °üÇÑ ¹ý·ü>ÀÔ´Ï´Ù.
6)Á¦½Ã¸ñ·Ï ¿ÜÀÇ ¹°°Ç
--


7)°øºÎ¿ÍÀÇ Â÷ÀÌ
--
8)±âŸÂü°í»çÇ×(ÀÓ´ë°ü·Ê ¹× ±âŸ)
ÀÓ´ë°ü°è : ¹Ì»óÀÔ´Ï´Ù.
±âŸ : --
Âü°í
»çÇ×
1.Àϰý¸Å°¢, ÁöºÐ¸Å°¢(¸ñ·Ï2: °øÀ¯ÀÚµéÀÇ ¿ì¼±¸Å¼ö±Ç Çà»ç´Â Á¦ÇѵÊ) 2.¸ñ·Ï1,2 : ³óÁöÃëµæÀÚ°ÝÁõ¸í Á¦Ãâ ¿äÇÔ(¹ÌÁ¦Ãâ½Ã º¸Áõ±Ý ¸ô¼ö) 3.¸ñ·Ï1,2 : ÁöÀû ¹× ÇöȲ»ó ¸ÍÁöÀÓ 4.¸ñ·Ï1 : ÀÎÁ¢Áö¹ø(ºÎµ¿»êÇ¥½Ã¸ñ·Ï Á¦2È£ ¹× ¿î»ê¸® 353-122)°ú ÀϺΠ°æ°è ¾øÀÌ »ç¿ë ÁßÀÓ 5.¸ñ·Ï2 : ÀÎÁ¢Áö¹ø(ºÎµ¿»êÇ¥½Ã¸ñ·Ï Á¦1È£ ¹× ¿î»ê¸® 353-122, 123)°ú ÀϺΠ°æ°è ¾øÀÌ »ç¿ë ÁßÀ̸ç Áö»ó¿¡ ÀÎÁ¢Áö¹ø(¿î»ê¸® 353-10)¿¡ °ÉÃÄ ºí·°Á¶°­ÆÇÁöºØ ÁÖÅà ¹× º¸ÀÏ·¯½Ç ÀϺΰ¡ °ÉÃÄ °Ç¸³µÇ¾î º¸À̳ª ±× °æ°è°¡ ºÒ¸íÈ®ÇÏ¿© Á¤È®ÇÑ Ãø·®À» ¿äÇÔ
ºÎµ¿»êÇ¥½Ã¸ñ·Ï Á¦1È£ : Àü, ÀüÀ¸·Î ÀÎÁ¢Áö¹ø(ºÎµ¿»êÇ¥½Ã¸ñ·Ï Á¦2È£, ¿î»ê¸®353-122)°ú ÀϺΠ°æ°è¾øÀÌ »ç¿ëÁßÀÓ. ºÎ


±¹ÅäºÎ½Ç°Å·¡°¡ ÀüºÏƯº°ÀÚÄ¡µµ ºÎ¾È±º º¯»ê¸é ¿î»ê¸®

°è¾àÀÏÁö¸ñ¿ëµµÁö¿ªµµ·Î°è¾à¸éÀû±Ý¾×±¸ºÐ
25.12.29ÀӾ߰èȹ°ü¸®-78359,794
25.10.27Àü»ý»ê°ü¸®8m¹Ì¸¸9953,800
25.09.23µµ·Î°èȹ°ü¸®-31.5755ÁöºÐ
25.09.23µµ·Î°èȹ°ü¸®-257.7453ÁöºÐ
25.09.23µµ·Î°èȹ°ü¸®-1.743ÁöºÐ
¢Ñ ´õº¸±â

µî±âºÎµîº» ¿ä¾à(ÅäÁö)

  Á¢¼öÀÏÀÚ µî±â¸ñÀû/±Ç¸®ÀÚ ±Ç¸®±Ý¾× ±âÁØ
1 2009³â10¿ù30ÀÏ
¼ÒÀ¯±Ç
¹ÚOO
¼Ò¸ê
2 2009³â10¿ù30ÀÏ
±ÙÀú´ç±Ç
»õOOOO
43,000,000 ¼Ò¸ê±âÁØ
3 2009³â10¿ù30ÀÏ
Áö»ó±Ç
»õOOOO
¼Ò¸ê
4 2025³â7¿ù11ÀÏ
ÀÓÀǰæ¸Å
ÆÄOOOO
¼Ò¸ê

ÀÓÂ÷ÀÎÇöȲ (¹è´ç¿ä±¸Á¾±âÀÏ: 2025-10-13)

ÀÓÂ÷ÀÎ ¿ëµµ/Á¡À¯ º¸Áõ±Ý/¿ù¼¼ ´ëÇ×·Â
ÀüÀÔÀÏ/È®Á¤ÀÏ ¹è´ç¿ä±¸ ºñ°í
±èOO ¹Ì»ó ¹Ì»ó
[¿ù]¹Ì»ó
2015.07.17.
¹Ì»ó

¿©ÀÇÁÖ°æ¸Å Á¶¾ð ÇÑ ¸¶µð

ÁöºÐ°æ¸Å ¹°°ÇÀÌ Æ÷ÇԵǾî ÀÖ½À´Ï´Ù
¿©·¯ ¸íÀÌ °øµ¿À¸·Î ¼ÒÀ¯ÇÏ´Â ºÎµ¿»êÀÇ ÀϺθ¸ °æ¸Å·Î ³ª¿Â °ÍÀ» ÁöºÐ°æ¸Å¶ó°í ÇÕ´Ï´Ù. ¼ÒÀ¯ºÎºÐÀÌ Æ¯Á¤µÇÁö ¾Ê¾Æ »ç¿ë¿¡ Á¦¾àÀÌ µû¸¦ ¼ö ÀÖÀ¸¸ç °øÀ¯ÀÚ°£¿¡ ºÐÀïµµ ¹ß»ýÇÒ ¼ö ÀÖ½À´Ï´Ù. °øÀ¯ÀÚ´Â °øÀ¯ÀÚ¿ì¼±¸Å¼öû±¸±Ç¸®°¡ ÀÖ½À´Ï´Ù.
³óÁöÃëµæÀÚ°ÝÁõ¸í¿ø Á¦ÃâÀ» Á¶°ÇÀ¸·Î ÇÏ´Â ¹°°ÇÀÔ´Ï´Ù
Àü, ´ä, °ú¼ö¿ø µî ³óÁö´Â ³«ÂûÀϷκÎÅÍ 7ÀÏ À̳»¿¡ ³óÁöÃëµæÀÚ°ÝÁõ¸íÀ» ÇØ´ç°üû¿¡¼­ ¹ß±Þ¹Þ¾Æ °æ¸Å¹ý¿ø¿¡ Á¦ÃâÇÏ¿©¾ß ÇÕ´Ï´Ù. ¹ÌÁ¦Ãâ½Ã¿¡´Â ³«ÂûÀÌ ºÒÇã°¡µÇ°í ÀÔÂûº¸Áõ±ÝÀÌ ¸ô¼öµÉ ¼ö ÀÖ½À´Ï´Ù. ÇØ´ç ³óÁö°¡ ºÒ¹ýÀü¿ë ¶Ç´Â ÇüÁúº¯°æÀÌ µÈ °æ¿ì ¿øÄ¢ÀûÀ¸·Î ³óÁöÃëµæÀÚ°ÝÁõ¸íÀ» ¹ß±Þ¹ÞÀ» ¼ö ¾øÀ¸³ª »çÈÄ Á¶°ÇºÎ·Î ¹ß±Þ¹ÞÀ» ¼öµµ ÀÖ½À´Ï´Ù. ³ó¾÷ÀÎÀÌ ¾Æ´Ï¾îµµ µÇ°í ¸Õ °Å¸®¿¡ °ÅÁÖÇϴ ŸÁöÀεµ ¹ß±ÞÀÌ °¡´ÉÇÕ´Ï´Ù.

ÁÖÀÇ»çÇ× (ÃÖ¼±¼øÀ§ ¼³Á¤ÀÏ: 2009. 10. 30. ±ÙÀú´ç : ¸ñ·Ï1 2025. 07. 11. °æ¸Å°³½Ã°áÁ¤ : ¼³Á¤ ¸ñ·Ï2)

¸Å°¢À¸·Î ¼Ò¸êµÇÁö ¾Ê´Â µî±âºÎ±Ç¸®:
¸Å°¢À¸·Î ¼³Á¤µÈ °ÍÀ¸·Î º¸´Â Áö»ó±Ç:
1.Àϰý¸Å°¢, ÁöºÐ¸Å°¢(¸ñ·Ï2: °øÀ¯ÀÚµéÀÇ ¿ì¼±¸Å¼ö±Ç Çà»ç´Â Á¦ÇѵÊ) 2.¸ñ·Ï1,2 : ³óÁöÃëµæÀÚ°ÝÁõ¸í Á¦Ãâ ¿äÇÔ(¹ÌÁ¦Ãâ½Ã º¸Áõ±Ý ¸ô¼ö) 3.¸ñ·Ï1,2 : ÁöÀû ¹× ÇöȲ»ó ¸ÍÁöÀÓ 4.¸ñ·Ï1 : ÀÎÁ¢Áö¹ø(ºÎµ¿»êÇ¥½Ã¸ñ·Ï Á¦2È£ ¹× ¿î»ê¸® 353-122)°ú ÀϺΠ°æ°è ¾øÀÌ »ç¿ë ÁßÀÓ 5.¸ñ·Ï2 : ÀÎÁ¢Áö¹ø(ºÎµ¿»êÇ¥½Ã¸ñ·Ï Á¦1È£ ¹× ¿î»ê¸® 353-122, 123)°ú ÀϺΠ°æ°è ¾øÀÌ »ç¿ë ÁßÀ̸ç Áö»ó¿¡ ÀÎÁ¢Áö¹ø(¿î»ê¸® 353-10)¿¡ °ÉÃÄ ºí·°Á¶°­ÆÇÁöºØ ÁÖÅà ¹× º¸ÀÏ·¯½Ç ÀϺΰ¡ °ÉÃÄ °Ç¸³µÇ¾î º¸À̳ª ±× °æ°è°¡ ºÒ¸íÈ®ÇÏ¿© Á¤È®ÇÑ Ãø·®À» ¿äÇÔ
¡Ø¹Ì³³°ü¸®ºñ(°ø¿ë) Àμö¿©ºÎ¸¦ ÀÔÂû Àü¿¡ È®ÀÎÇϽñ⠹ٶø´Ï´Ù

 

Áö¿ªºÐ¼®

ÁöÇÏö¸í Á÷¼±°Å¸®

Çб³¸í ÀüÈ­¹øÈ£ ÁÖ¼Ò Á÷¼±°Å¸®

¹ý¿ø

ÀüÁÖÁö¹æ¹ý¿ø Á¤À¾Áö¿ø (561-72)Àü¶óºÏµµ Á¤À¾½Ã ¼ö¼º6·Î 29
´ëÇ¥ : 063)570-1000, ¹Î¿ø : 063)570-1180, 1184
°üÇÒÁö¿ª : Á¤À¾½Ã, ºÎ¾È±º, °íⱺ

µî±â¼Ò ÀüÁÖÁö¹æ¹ý¿ø º»¿ø ºÎ¾Èµî±â¼Ò (´ëÇ¥:1544-0773, ÆÑ½º:(063)581-2053, ÀüºÏ ºÎ¾È±º ºÎ¾ÈÀ¾ ¿ë°è±æ 17 (¼±Àº¸® 301-14))
¼¼¹«¼­ Á¤À¾¼¼¹«¼­ (´ëÇ¥:063-530-12, ÆÑ½º:063-533-9101, Àü¶óºÏµµ Á¤À¾½Ã Áß¾Ó1±æ 93 (¼ö¼ºµ¿))

Àαٳ«ÂûÅë°è

±â°£ ¸Å°¢°Ç¼ö Æò±Õ°¨Á¤°¡
Æò±Õ¸Å°¢°¡
¸Å°¢°¡À²
Æò±ÕÀ¯Âû¼ö
3°³¿ù 15°Ç 161,010,927¿ø
78,899,167¿ø
50%
2.5ȸ
6°³¿ù 40°Ç 124,424,100¿ø
55,322,748¿ø
41%
3.2ȸ
12°³¿ù 73°Ç 147,635,479¿ø
63,035,144¿ø
43%
3.1ȸ


º» °æ¸ÅÁ¤º¸´Â ¹ý¿øÀÚ·á¿Í ÀÏÄ¡Çϵµ·Ï ÇÏ¿´À¸³ª ±Ç¸®»çÇ׺¯µ¿, ÀÔ·ÂÂø¿À µîÀÇ ¿øÀÎÀ¸·Î »ç½Ç°ú ´Ù¸¦ ¼ö ÀÖ½À´Ï´Ù. ÀÌ¿ë¾à°ü¿¡ ÀǰЏéÃ¥Á¶°ÇÀ¸·Î Á¦°øµÊÀ» ¾Ë¸®¸ç, °æ¸ÅÀÔÂû½Ã ¹Ýµå½Ã °ü·Ã °øºÎ¸¦ ÀçÈ®ÀÎÇϽñ⠹ٶø´Ï´Ù. º¸´Ù Æí¸®ÇÑ °æ¸ÅÁ¤º¸ Á¦°øÀ» À§ÇØ Áö¼ÓÀûÀ¸·Î °³¼±ÇϰڽÀ´Ï´Ù. ÀÌ¿ëÇØ Áּż­ °¨»çÇÕ´Ï´Ù.