·Î±×ÀÎ
1208
ÁÖÅÃ
¼ö¿øÁö¹æ¹ý¿ø
 °¨Á¤°¡1,602,398,800 ¿ø
 ÃÖÀú°¡(70%) 1,121,679,000 ¿ø
 º¸Áõ±Ý(10%) 112,167,900 ¿ø
 Ã»±¸¾×523,322,282 ¿ø
°æ±âµµ ¿ëÀνà ¼öÁö±¸ °í±âµ¿ 506-28
»ç°Ç¹øÈ£ 2025Ÿ°æ50086
°æ¸ÅÁ¾·ùºÎµ¿»êÀÓÀǰæ¸Å
¸Å°¢´ë»óÅäÁö ¹× °Ç¹°Àϰý¸Å°¢
¸Å°¢±âÀÏ    2026.03.09(¿ù) 10:00 ÀÔÂû 1ÀÏÀü    
ÅäÁö¸éÀû623.00§³(188.46 Æò)
°Ç¹°¸éÀû311.60§³(94.26 Æò)
乫/¼ÒÀ¯ÀÚ¿©OO / À¯OO
ä±ÇÀÚ¿¥OOOOO OOOO
ÆäÀ̽ººÏ Æ®À§ÅÍ ±¸±Û+
īī¿À½ºÅ丮
īī¿ÀÅå sms¹®ÀÚº¸³»±â
 

±âÀϳ»¿ª

°æ°ú ³¯Â¥ Àú°¨ ÃÖÀú°¡ °á°ú
Á¢¼öÀÏ 2025-01-02 °æ¸ÅÁ¢¼ö
~1ÀÏ 
2025-01-03 °æ¸Å°³½Ã°áÁ¤
~77ÀÏ 
2025-03-20 ¹è´ç¿ä±¸Á¾±âÀÏ
~390ÀÏ 
2026-01-27 100%
1,602,398,800
À¯Âû
~431ÀÏ 
2026-03-09 70%
1,121,679,000
ÁøÇà
¹°°Ç¸í¼¼¼­ ÇöȲÁ¶»ç¼­ ¹®°ÇÁ¢¼ö ¼Û´Þ³»¿ª

°¨Á¤Æò°¡ÇöȲ

¸ñ·Ï ÁÖ¼Ò ±¸Á¶/¿ëµµ/´ëÁö±Ç ¸éÀû ºñ°í
ÅäÁö
°í±âµ¿ 506-28 ´ë 623 §³
(188.46Æò)
°Ç¹°
°í±âµ¿ 506-28 1Ãþ ´Üµ¶ÁÖÅà ö±ÙÄÜÅ©¸®Æ®±¸Á¶ 117.14 §³
(35.43Æò)
°í±âµ¿ 506-28 2Ãþ Àϴܵ¶ÁÖÅà ö±ÙÄÜÅ©¸®Æ®±¸Á¶ 82.94 §³
(25.09Æò)
°í±âµ¿ 506-28 Áö1Ãþ ÁÖÂ÷Àå ö±ÙÄÜÅ©¸®Æ®±¸Á¶ 111.52 §³
(33.73Æò)
1) À§Ä¡/µµ½ÃÁö¿ª/ÀÚ¿¬³ìÁöÁö¿ª/¹ö½ºÁ¤·ùÀå/ÁÖÂ÷Àå/ö±ÙÄÜÅ©¸®Æ®±¸Á¶ ´õº¸±â
°¨Á¤Æò°¡ ¿äÇ×Ç¥
1)À§Ä¡ ¹× ÁÖÀ§È¯°æ
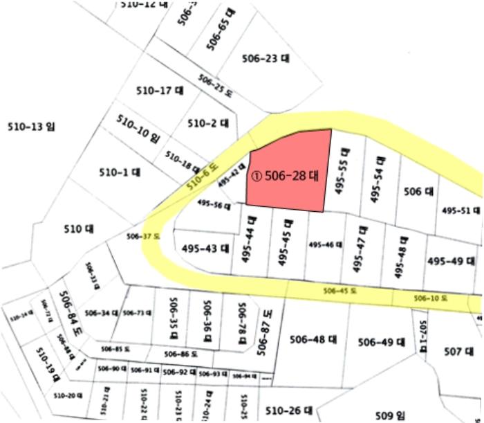
´ë»ó¹°°ÇÀº °æ±âµµ ¿ëÀνà ¼öÁö±¸ °í±âµ¿ ¼ÒÀç "°í±â3¸®¸¶À»È¸°ü" ºÏ¼­Ãø ±Ù°Å¸®¿¡ À§Ä¡Çϸç, ÁÖÀ§´Â ´Üµ¶ÁÖÅÃ, ±Ù¸°»ýȰ½Ã¼³, ÀÚ¿¬¸² µîÀÌ È¥ÀçÇÏ´Â Áö¿ªÀ¸·Î Àü¹ÝÀûÀÎ ÁÖÀ§È¯°æÀº º¸ÅëÀÓ.
2)±³Åë»óȲ
´ë»ó¹°°Ç±îÁö Â÷·®ÀÇ Áø¡¤ÃâÀÔÀÌ °¡´ÉÇϸç ÁÖÀ§¿¡ ¹ö½ºÁ¤·ùÀåÀÌ ¼ÒÀçÇÏ´Â µî Á¦¹Ý ±³Åë»óȲÀº º¸ÅëÀÓ.


3)ÇüÅ ¹× ÀÌ¿ë»óÅÂ
¿Ï°æ»çÀÇ »ç´Ù¸®Çü ÅäÁö¸¦ ÆòÁö Á¶¼ºÇÏ¿´À¸¸ç ÁÖ°Å¿ë °ÇºÎÁö·Î ÀÌ¿ëÁßÀÓ.
4)ÀÎÁ¢ µµ·Î»óÅÂ
´ë»ó¹°°Ç ºÏÃøÀ¸·Î ³ëÆø ¾à 6¹ÌÅÍÀÇ Æ÷Àåµµ·Î¿Í Á¢ÇÔ.
5)ÅäÁöÀÌ¿ë°èȹ ¹× Á¦ÇÑ»óÅÂ
ÀϷùøÈ£(1) :µµ½ÃÁö¿ª, ÀÚ¿¬³ìÁöÁö¿ª, ¼ºÀå°ü¸®°èȹ±¸¿ª(ÁÖ°ÅÇü), °¡Ãà»çÀ°Á¦Çѱ¸¿ª<°¡ÃàºÐ´¢ÀÇ °ü¸® ¹× À̿뿡 °üÇÑ ¹ý·ü>, ¼ºÀå°ü¸®±Ç¿ª<¼öµµ±ÇÁ¤ºñ°èȹ¹ý>, ÁßÁ¡°æ°ü°ü¸®±¸¿ª
6)Á¦½Ã¸ñ·Ï ¿ÜÀÇ ¹°°Ç
-
7)°øºÎ¿ÍÀÇ Â÷ÀÌ
-
8)±âŸÂü°í»çÇ×(ÀÓ´ë°ü·Ê ¹× ±âŸ)
ÀÓ´ë¹Ì»óÀÓ.
1)°Ç¹°ÀÇ ±¸Á¶
ö±ÙÄÜÅ©¸®Æ®±¸Á¶, ÀϹݸñ±¸Á¶ (ö±Ù)ÄÜÅ©¸®Æ®ÁöºØ ÁöÇÏ1Ãþ/Áö»ó2Ãþ °ÇÀ¸·Î¼­,
¿Üº® : Ä¡À庮µ¹ µî ¸¶°¨.
³»º® : º®Áöµµ¹è ¹× ÀϺΠŸÀϺÙÀÓ µî ¸¶°¨.
âȣ : ¼¦½Ã âȣÀÓ.
2)ÀÌ¿ë»óÅÂ
1,2Ãþ: ´Üµ¶ÁÖÅÃÀ¸·Î ÀÌ¿ëÁßÀÓ.
Áö1Ãþ: ´Üµ¶ÁÖÅÃ, ÁÖÂ÷ÀåÀ¸·Î ÀÌ¿ëÁßÀÓ.
3)¼³ºñ³»¿ª
À§»ý ¹× ±Þ¡¤¹è¼ö¼³ºñ, ³­¹æ¼³ºñ µîÀ» °®Ãß°í ÀÖÀ½.
4)ºÎÇÕ¹° ¹× Á¾¹°
-
5)°øºÎ¿ÍÀÇ Â÷ÀÌ
-
6)±âŸÂü°í»çÇ×(ÀÓ´ë°ü·Ê ¹× ±âŸ)
ÀÓ´ë¹Ì»óÀÓ.
Âü°í
»çÇ×
Àϰý¸Å°¢
º»°Ç ºÎµ¿»êÀÇ ÇöȲÀº ¿Ü

°ÇÃ๰ÇöȲ

¼ÒÀçÁö °æ±âµµ ¿ëÀνà ¼öÁö±¸ °í±âµ¿ 506-28¹øÁö
´ëÁö¸éÀû 623§³
(188.79Æò)
¿¬¸éÀû 311.6§³
(94.42Æò)
°ÇÃà¸éÀû 117.98§³
(35.75Æò)
¿ëÀû·ü»êÁ¤
¿¬¸éÀû
200.08§³
(60.63Æò)
°ÇÆóÀ² 18.94% ¿ëÀû·ü 32.12%
Áö»óÃþ¼ö 2Ãþ ÁöÇÏÃþ¼ö 1Ãþ
ÁÖ¿ëµµ ´Üµ¶ÁÖÅà ±¸Á¶ ö±ÙÄÜÅ©¸®Æ®±¸Á¶
Âø°øÀÏÀÚ 2002.05.04 »ç¿ë½ÂÀÎÀÏÀÚ 2007.01.24
°ÇÃ๰Ãþº°ÇöȲ [º¸±â]


µî±âºÎµîº» ¿ä¾à(ÅäÁö)

  Á¢¼öÀÏÀÚ µî±â¸ñÀû/±Ç¸®ÀÚ ±Ç¸®±Ý¾× ±âÁØ
1 2015³â3¿ù24ÀÏ
¼ÒÀ¯±Ç
À¯OO
¼Ò¸ê
2 2019³â9¿ù24ÀÏ
±ÙÀú´ç±Ç
¿¥OOOO
696,000,000 ¼Ò¸ê±âÁØ
3 2023³â1¿ù27ÀÏ
±ÙÀú´ç±Ç
ÇÁOOOO
6,500,000,000 ¼Ò¸ê
4 2024³â4¿ù15ÀÏ
¾Ð·ù
¿ëOO
¼Ò¸ê
5 2025³â1¿ù3ÀÏ
ÀÓÀǰæ¸Å
¿¥OOOO
¼Ò¸ê
6 2025³â10¿ù22ÀÏ
¾Ð·ù
¼­OO
¼Ò¸ê

µî±âºÎµîº» ¿ä¾à(°Ç¹°)

  Á¢¼öÀÏÀÚ µî±â¸ñÀû/±Ç¸®ÀÚ ±Ç¸®±Ý¾× ±âÁØ
1 2015³â3¿ù24ÀÏ
¼ÒÀ¯±Ç
À¯OO
¼Ò¸ê
2 2019³â9¿ù24ÀÏ
±ÙÀú´ç±Ç
¿¥OOOO
696,000,000 ¼Ò¸ê±âÁØ
3 2023³â1¿ù27ÀÏ
±ÙÀú´ç±Ç
ÇÁOOOO
6,500,000,000 ¼Ò¸ê
4 2024³â4¿ù15ÀÏ
¾Ð·ù
¿ëOO
¼Ò¸ê
5 2025³â1¿ù3ÀÏ
ÀÓÀǰæ¸Å
¿¥OOOO
¼Ò¸ê

ÀÓÂ÷ÀÎÇöȲ (¹è´ç¿ä±¸Á¾±âÀÏ: 2025-03-20)


Á¶»çµÈ ÀÓÂ÷³»¿ªÀÌ ¾ø½À´Ï´Ù


¿©ÀÇÁÖ°æ¸Å Á¶¾ð ÇÑ ¸¶µð

ÃëÇÏ ¶Ç´Â Ãë¼ÒµÉ °¡´É¼º ÀÖ½À´Ï´Ù
ÀÌ ¹°°ÇÀÇ °¨Á¤°¡°ÝÀº 1,602,398,800¿øÀÔ´Ï´Ù. °æ¸Å¸¦ ½ÅûÇÑ Ã¤±ÇÀÚ°¡ ¹è´ç ¹Þ¾Æ¾ß ÇÒ ±Ý¾×Àº 523,322,282¿øÀ¸·Î °¨Á¤°¡°Ý ´ëºñ »ó´çÈ÷ ÀûÀº ±Ý¾×ÀÔ´Ï´Ù. ÀÌ·± °æ¿ì, 乫°¡°¡ º¯Á¦ÇÏ¿© °æ¸Å¸¦ ÃëÇϽÃŰ°Å³ª °æ¸Å½Åûä±ÇÀÚ°¡ ¹è´ç¹ÞÀº ±Ý¿øÀÌ ¾ø°ÔµÇ¾î À̸¥ ¹Ù "¹«À׿©¿¡ ÀÇÇÑ Ãë¼Ò"°¡ µÉ °¡´É¼ºÀÌ ÀÖ½À´Ï´Ù.

ÁÖÀÇ»çÇ× (ÃÖ¼±¼øÀ§ ¼³Á¤ÀÏ: 2019.09.24. ±ÙÀú´ç±Ç ¼³Á¤)

¸Å°¢À¸·Î ¼Ò¸êµÇÁö ¾Ê´Â µî±âºÎ±Ç¸®: ÇØ´ç»çÇ×¾øÀ½
¸Å°¢À¸·Î ¼³Á¤µÈ °ÍÀ¸·Î º¸´Â Áö»ó±Ç: ÇØ´ç»çÇ×¾øÀ½
¡Ø¹Ì³³°ü¸®ºñ(°ø¿ë) Àμö¿©ºÎ¸¦ ÀÔÂû Àü¿¡ È®ÀÎÇϽñ⠹ٶø´Ï´Ù

 

Áö¿ªºÐ¼®

ÁöÇÏö¸í Á÷¼±°Å¸®

Çб³¸í ÀüÈ­¹øÈ£ ÁÖ¼Ò Á÷¼±°Å¸®

¹ý¿ø

¼ö¿øÁö¹æ¹ý¿ø (165-12)°æ±âµµ ¼ö¿ø½Ã ¿µÅ뱸 ¹ýÁ¶·Î 105, Çϵ¿, ¼ö¿ø¹ý¿øÁ¾ÇÕû»ç
´ëÇ¥ : 031)210-1114, ¾ß°£ : 031)210-1111
°üÇÒÁö¿ª : ¼ö¿ø½Ã, ¿À»ê½Ã, È­¼º½Ã, ¿ëÀνÃ

µî±â¼Ò ¼ö¿øÁö¹æ¹ý¿ø º»¿ø ¿ëÀεî±â¼Ò (´ëÇ¥:1544-0773, ÆÑ½º:(031)321-3919, °æ±âµµ ¿ëÀνà óÀα¸ ¼º»ê·Î 7 (¿ªºÏµ¿ 391-28))
¼¼¹«¼­ ¿ëÀμ¼¹«¼­ (´ëÇ¥:031-329-22, ÆÑ½º:031-329-2328, °æ±âµµ ¿ëÀνà óÀα¸ Áߺδë·Î1161¹ø±æ 71 (»ï°¡µ¿))

Àαٳ«ÂûÅë°è

±â°£ ¸Å°¢°Ç¼ö Æò±Õ°¨Á¤°¡
Æò±Õ¸Å°¢°¡
¸Å°¢°¡À²
Æò±ÕÀ¯Âû¼ö


º» °æ¸ÅÁ¤º¸´Â ¹ý¿øÀÚ·á¿Í ÀÏÄ¡Çϵµ·Ï ÇÏ¿´À¸³ª ±Ç¸®»çÇ׺¯µ¿, ÀÔ·ÂÂø¿À µîÀÇ ¿øÀÎÀ¸·Î »ç½Ç°ú ´Ù¸¦ ¼ö ÀÖ½À´Ï´Ù. ÀÌ¿ë¾à°ü¿¡ ÀǰЏéÃ¥Á¶°ÇÀ¸·Î Á¦°øµÊÀ» ¾Ë¸®¸ç, °æ¸ÅÀÔÂû½Ã ¹Ýµå½Ã °ü·Ã °øºÎ¸¦ ÀçÈ®ÀÎÇϽñ⠹ٶø´Ï´Ù. º¸´Ù Æí¸®ÇÑ °æ¸ÅÁ¤º¸ Á¦°øÀ» À§ÇØ Áö¼ÓÀûÀ¸·Î °³¼±ÇϰڽÀ´Ï´Ù. ÀÌ¿ëÇØ Áּż­ °¨»çÇÕ´Ï´Ù.