·Î±×ÀÎ
1232
°øÀå¿ëÁö
±¤ÁÖÁö¹æ¹ý¿ø
 °¨Á¤°¡2,680,863,900 ¿ø
 ÃÖÀú°¡(36%) 960,823,000 ¿ø
 º¸Áõ±Ý(10%) 96,082,300 ¿ø
 Ã»±¸¾×1,049,275,130 ¿ø
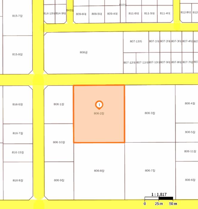
Àü¶ó³²µµ ³ªÁֽà ¿Õ°î¸é ´ö»ê¸® 806-2
»ç°Ç¹øÈ£ 2025Ÿ°æ3744
°æ¸ÅÁ¾·ùºÎµ¿»êÀÓÀǰæ¸Å
¸Å°¢´ë»óÅäÁö¸Å°¢
¸Å°¢±âÀÏ    2026.07.03(±Ý) 10:00 ÀÔÂû 34ÀÏÀü    
ÅäÁö¸éÀû8,966.10§³(2,712.25 Æò)
°Ç¹°¸éÀû
乫/¼ÒÀ¯ÀÚÀ¯OOO OOOOO / À¯OOO OOOOO
ä±ÇÀÚ°íOOOOOOOOO
ÆäÀ̽ººÏ Æ®À§ÅÍ ±¸±Û+
īī¿À½ºÅ丮
īī¿ÀÅå sms¹®ÀÚº¸³»±â
 

±âÀϳ»¿ª

°æ°ú ³¯Â¥ Àú°¨ ÃÖÀú°¡ °á°ú
Á¢¼öÀÏ 2025-06-05 °æ¸ÅÁ¢¼ö
~4ÀÏ 
2025-06-09 °æ¸Å°³½Ã°áÁ¤
~88ÀÏ 
2025-09-01 ¹è´ç¿ä±¸Á¾±âÀÏ
~223ÀÏ 
2026-01-14 100%
2,680,863,900
À¯Âû
~265ÀÏ 
2026-02-25 70%
1,876,605,000
À¯Âû
~307ÀÏ 
2026-04-08 56%
1,501,284,000
À¯Âû
~349ÀÏ 
2026-05-20 45%
1,201,028,000
À¯Âû
~393ÀÏ 
2026-07-03 36%
960,823,000
ÁøÇà
¹°°Ç¸í¼¼¼­ ÇöȲÁ¶»ç¼­ ¹®°ÇÁ¢¼ö ¼Û´Þ³»¿ª

°¨Á¤Æò°¡ÇöȲ

¸ñ·Ï ÁÖ¼Ò ±¸Á¶/¿ëµµ/´ëÁö±Ç ¸éÀû ºñ°í
ÅäÁö
´ö»ê¸® 806-2 °øÀå¿ëÁö 8966.1 §³
(2,712.25Æò)
1) À§Ä¡/µµ½ÃÁö¿ª/ÀϹݰø¾÷Áö¿ª/Áö±¸´ÜÀ§°èȹ±¸¿ª/¹ö½ºÁ¤·ùÀå/Â÷·® Á¢±ÙÀÌ °¡´É/°£¼±µµ·Î ´õº¸±â
°¨Á¤Æò°¡ ¿äÇ×Ç¥
1)À§Ä¡ ¹× ÁÖÀ§È¯°æ
º»°ÇÀº Àü¶ó³²µµ ³ªÁֽà ¿Õ°î¸é ´ö»ê¸® '³ªÁÖÇõ½Å»ê¾÷´ÜÁö' ³»¿¡ À§Ä¡Çϸç, ºÎ±ÙÀº À¾¼ÒÀçÁö ³» ¼ÒÀçÇÏ´Â °ø¾÷¿ë, °ø¾÷³ªÁö µîÀÌ È¥ÀçÇÏ´Â »ê¾÷´ÜÁö·Î ÀϹÝÀûÀÎ ÁÖÀ§È¯°æÀº º¸ÅëÀÓ.
2)±³Åë»óȲ
º»°Ç±îÁö Â÷·® Á¢±ÙÀÌ °¡´ÉÇϸç, Àαٿ¡ ¹ö½ºÁ¤·ùÀå ¹× °£¼±µµ·Î°¡ ¼ÒÀçÇÏ´Â µî ±³Åë»çÁ¤Àº º¸ÅëÀÓ.
3)ÇüÅ ¹× ÀÌ¿ë»óÅÂ
ÀÎÁ¢ÅäÁö ¹× ÀÎÁ¢µµ·Î¿Í µî°íÆòźÇÑ ¼¼ÀåÇü ÆòÁö·Î, °ø¾÷³ªÁöÀÓ.
4)ÀÎÁ¢ µµ·Î»óÅÂ
Áß·ÎÇѸéÀÓ.
5)ÅäÁöÀÌ¿ë°èȹ ¹× Á¦ÇÑ»óÅÂ
µµ½ÃÁö¿ª , ÀϹݰø¾÷Áö¿ª , Áö±¸´ÜÀ§°èȹ±¸¿ª , Áß·Î1·ù(Æø 20m~25m)(Á¢ÇÕ), °¡Ãà»çÀ°Á¦Çѱ¸¿ª(800mÁ¦Çѱ¸¿ª_´ß, ¿À¸®, ¸ÞÃ߸®)<°¡ÃàºÐ´¢ÀÇ °ü¸® ¹× À̿뿡 °üÇÑ ¹ý·ü>, »ê¾÷À°¼º±¸¿ª(2021-09-15)<¿¬±¸°³¹ßƯ±¸ÀÇ À°¼º¿¡ °üÇÑÆ¯º°¹ý>, ¿¬±¸°³¹ßƯ±¸(2020-08-28)<¿¬±¸°³¹ßƯ±¸ÀÇ À°¼º¿¡ °üÇÑÆ¯º°¹ý>ÀÓ.
6)Á¦½Ã¸ñ·Ï ¿ÜÀÇ ¹°°Ç
ÇØ´ç»çÇ× ¾øÀ½.
7)°øºÎ¿ÍÀÇ Â÷ÀÌ
ƯÀÌ»çÇ× ¾øÀ½.
8)±âŸÂü°í»çÇ×(ÀÓ´ë°ü·Ê ¹× ±âŸ)
ÀÓ´ë°ü°è´Â ¹Ì»óÀÓ.
Âü°í
»çÇ×
- °ø¾÷³ªÁöÀÓ


±¹ÅäºÎ½Ç°Å·¡°¡ Àü¶ó³²µµ ³ªÁֽà ¿Õ°î¸é

°è¾àÀÏÁö¸ñ¿ëµµÁö¿ªµµ·Î°è¾à¸éÀû±Ý¾×±¸ºÐ
26.05.18´ä³ó¸²8m¹Ì¸¸276512,443
26.05.15ÀâÁ¾Áöº¸Àü°ü¸®8m¹Ì¸¸338530
26.05.15ÀâÁ¾Áöº¸Àü°ü¸®8m¹Ì¸¸9301,240
26.05.15ÀâÁ¾Áöº¸Àü°ü¸®8m¹Ì¸¸472630
26.05.14´ë°èȹ°ü¸®8m¹Ì¸¸6744,000
¢Ñ ´õº¸±â

µî±âºÎµîº» ¿ä¾à(ÅäÁö)

  Á¢¼öÀÏÀÚ µî±â¸ñÀû/±Ç¸®ÀÚ ±Ç¸®±Ý¾× ±âÁØ
1 2023³â6¿ù30ÀÏ
¼ÒÀ¯±Ç
À¯OOOO
¼Ò¸ê
2 2023³â6¿ù30ÀÏ
±ÙÀú´ç±Ç
³óOOOO
1,200,000,000 ¼Ò¸ê±âÁØ
3 2023³â6¿ù30ÀÏ
Áö»ó±Ç
°íOOOO
¼Ò¸ê
4 2023³â9¿ù18ÀÏ
±ÙÀú´ç±Ç
ÇÑOOOO
1,150,000,000 ¼Ò¸ê
5 2025³â6¿ù9ÀÏ
ÀÓÀǰæ¸Å
°íOOOO
¼Ò¸ê

ÀÓÂ÷ÀÎÇöȲ (¹è´ç¿ä±¸Á¾±âÀÏ: 2025-09-01)


Á¶»çµÈ ÀÓÂ÷³»¿ªÀÌ ¾ø½À´Ï´Ù


¿©ÀÇÁÖ°æ¸Å Á¶¾ð ÇÑ ¸¶µð


ÁÖÀÇ»çÇ× (ÃÖ¼±¼øÀ§ ¼³Á¤ÀÏ: 2023.06.30. ±ÙÀú´ç±Ç ¼³Á¤)

¸Å°¢À¸·Î ¼Ò¸êµÇÁö ¾Ê´Â µî±âºÎ±Ç¸®:
¸Å°¢À¸·Î ¼³Á¤µÈ °ÍÀ¸·Î º¸´Â Áö»ó±Ç:
2025.12.24 ½Â°èÀÎ ³óOOOOOOOOOOO °æ¸Å¿¹³³±Ýȯ±Þ°èÁº¯°æ½Åû¼­ Á¦Ãâ
- °ø¾÷³ªÁöÀÓ
¡Ø¹Ì³³°ü¸®ºñ(°ø¿ë) Àμö¿©ºÎ¸¦ ÀÔÂû Àü¿¡ È®ÀÎÇϽñ⠹ٶø´Ï´Ù

 

Áö¿ªºÐ¼®

ÁöÇÏö¸í Á÷¼±°Å¸®

Çб³¸í ÀüÈ­¹øÈ£ ÁÖ¼Ò Á÷¼±°Å¸®

¹ý¿ø

±¤ÁÖÁö¹æ¹ý¿ø (614-41)±¤ÁÖ±¤¿ª½Ã µ¿±¸ Áعý·Î 7-12(Áö»ê2µ¿)
´ëÇ¥ : 062)239-1114
°üÇÒÁö¿ª : ±¤ÁÖ±¤¿ª½Ã, ³ªÁÖ½Ã, È­¼ø±º, À强±º, ´ã¾ç±º, °î¼º±º, ¿µ±¤±º

µî±â¼Ò ±¤ÁÖÁö¹æ¹ý¿ø º»¿ø ³ªÁÖµî±â¼Ò (´ëÇ¥:1544-0773, ÆÑ½º:(061)332-6701, Àü³² ³ªÁֽà Àç½Å±æ 41 (¼Û¿ùµ¿ 1126))
¼¼¹«¼­ ³ªÁÖ¼¼¹«¼­ (´ëÇ¥:061-330-02, ÆÑ½º:061-332-8570, Àü¶ó³²µµ ³ªÁֽà Àç½Å±æ 33 (¼Û¿ùµ¿))

Àαٳ«ÂûÅë°è

±â°£ ¸Å°¢°Ç¼ö Æò±Õ°¨Á¤°¡
Æò±Õ¸Å°¢°¡
¸Å°¢°¡À²
Æò±ÕÀ¯Âû¼ö
3°³¿ù 3°Ç 1,065,640,333¿ø
492,000,000¿ø
46%
3ȸ
6°³¿ù 3°Ç 1,065,640,333¿ø
492,000,000¿ø
46%
3ȸ
12°³¿ù 4°Ç 800,196,750¿ø
369,676,500¿ø
52%
2.5ȸ


º» °æ¸ÅÁ¤º¸´Â ¹ý¿øÀÚ·á¿Í ÀÏÄ¡Çϵµ·Ï ÇÏ¿´À¸³ª ±Ç¸®»çÇ׺¯µ¿, ÀÔ·ÂÂø¿À µîÀÇ ¿øÀÎÀ¸·Î »ç½Ç°ú ´Ù¸¦ ¼ö ÀÖ½À´Ï´Ù. ÀÌ¿ë¾à°ü¿¡ ÀǰЏéÃ¥Á¶°ÇÀ¸·Î Á¦°øµÊÀ» ¾Ë¸®¸ç, °æ¸ÅÀÔÂû½Ã ¹Ýµå½Ã °ü·Ã °øºÎ¸¦ ÀçÈ®ÀÎÇϽñ⠹ٶø´Ï´Ù. º¸´Ù Æí¸®ÇÑ °æ¸ÅÁ¤º¸ Á¦°øÀ» À§ÇØ Áö¼ÓÀûÀ¸·Î °³¼±ÇϰڽÀ´Ï´Ù. ÀÌ¿ëÇØ Áּż­ °¨»çÇÕ´Ï´Ù.