·Î±×ÀÎ
55
´ä
´ëÀüÁö¹æ¹ý¿ø ¼­»êÁö¿ø
 °¨Á¤°¡147,000,000 ¿ø
 ÃÖÀú°¡(100%) 147,000,000 ¿ø
 º¸Áõ±Ý(10%) 14,700,000 ¿ø
 Ã»±¸¾×115,642,595 ¿ø
ÃæÃ»³²µµ ¼­»ê½Ã µ¿¹®µ¿ 872-13
»ç°Ç¹øÈ£ 2024Ÿ°æ4730
°æ¸ÅÁ¾·ùºÎµ¿»ê°­Á¦°æ¸Å
¸Å°¢´ë»óÅäÁö¸Å°¢
¸Å°¢±âÀÏ    2025.12.23(È­) 10:00 ÀÔÂû 1ÀÏÀü    
ÅäÁö¸éÀû105.00§³(31.76 Æò)
°Ç¹°¸éÀû
乫/¼ÒÀ¯ÀÚÁ¤OO(O OOOO OOO) / Á¤OO(O OOOO OOO)
ä±ÇÀÚÁÖOOO OOOO
ÆäÀ̽ººÏ Æ®À§ÅÍ ±¸±Û+
īī¿À½ºÅ丮
īī¿ÀÅå sms¹®ÀÚº¸³»±â
 

±âÀϳ»¿ª

°æ°ú ³¯Â¥ Àú°¨ ÃÖÀú°¡ °á°ú
Á¢¼öÀÏ 2024-11-12 °æ¸ÅÁ¢¼ö
~69ÀÏ 
2025-01-20 °æ¸Å°³½Ã°áÁ¤
~182ÀÏ 
2025-05-13 ¹è´ç¿ä±¸Á¾±âÀÏ
~406ÀÏ 
2025-12-23 100%
147,000,000
ÁøÇà
¹°°Ç¸í¼¼¼­ ÇöȲÁ¶»ç¼­ ¹®°ÇÁ¢¼ö ¼Û´Þ³»¿ª

°¨Á¤Æò°¡ÇöȲ

¸ñ·Ï ÁÖ¼Ò ±¸Á¶/¿ëµµ/´ëÁö±Ç ¸éÀû ºñ°í
ÅäÁö
µ¿¹®µ¿ 872-13 ´ä 105 §³
(31.76Æò)
1) À§Ä¡/µµ½ÃÁö¿ª/Á¦2Á¾ÀϹÝÁÖ°ÅÁö¿ª/¹ö½ºÁ¤·ùÀå/Â÷·®Á¢±ÙÀÌ °¡´É/°£¼±µµ·Î ´õº¸±â
°¨Á¤Æò°¡ ¿äÇ×Ç¥
1)À§Ä¡ ¹× ÁÖÀ§È¯°æ
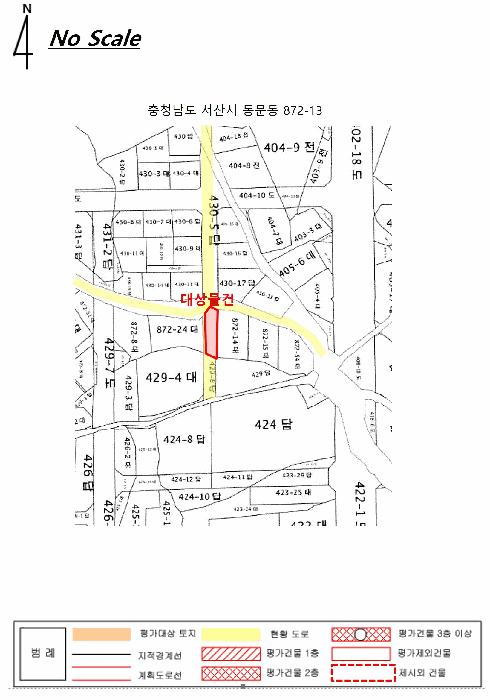
´ë»ó¹°°ÇÀº ÃæÃ»³²µµ ¼­»ê½Ã ¼ÒÀç '¼­»ê½Ãû' ºÏµ¿Ãø Àαٿ¡ ¼ÒÀçÇÏ´Â ÅäÁö·Î¼­, ÁÖº¯Àº ´Üµ¶ÁÖÅÃ, »ó°¡ÁÖÅÃ, ¾ÆÆÄÆ®´ÜÁö µîÀÌ ¼ÒÀçÇÏ´Â ÁÖ°ÅÁö´ë·Î¼­, Á¦¹Ý ÁÖÀ§È¯°æÀº ¹«³­½ÃµÊ.
2)±³Åë»óȲ
º»°Ç±îÁö Â÷·®Á¢±ÙÀÌ °¡´ÉÇϸç ÀαÙÀ¸·Î °£¼±µµ·Î ¹× ¹ö½ºÁ¤·ùÀå ´Ù¼ö°¡ ¼ÒÀçÇÏ¿© ±³Åë ÀÌ¿ë»óȲÀº ¹«³­½ÃµÊ.
3)ÇüÅ ¹× ÀÌ¿ë»óÅÂ
¼¼ÀåÇü ÆòÁö·Î¼­, ÇöȲ 'ÁְųªÁö'ÀÓ.
4)ÀÎÁ¢ µµ·Î»óÅÂ
º»°Ç ºÏÃøÀ¸·Î ³ëÆø ¾à 4m Æ÷Àåµµ·Î¿Í Á¢ÇÔ.
5)ÅäÁöÀÌ¿ë°èȹ ¹× Á¦ÇÑ»óÅÂ
µµ½ÃÁö¿ª(2021-05-25), Á¦2Á¾ÀϹÝÁÖ°ÅÁö¿ª, °¡Ãà»çÀ°Á¦Çѱ¸¿ª(ÀüºÎÁ¦ÇÑÁö¿ª:¸ðµç ÃàÁ¾ ºÒ°¡)<°¡ÃàºÐ´¢ÀÇ °ü¸® ¹× À̿뿡 °üÇÑ ¹ý·ü>.
6)Á¦½Ã¸ñ·Ï ¿ÜÀÇ ¹°°Ç
-.
7)°øºÎ¿ÍÀÇ Â÷ÀÌ
ÇöȲ Áö¸ñ '´ä'À̳ª, ÇöȲ 'ÁְųªÁö'ÀÓ.
8)±âŸÂü°í»çÇ×(ÀÓ´ë°ü·Ê ¹× ±âŸ)
ÀÓ´ë°ü°è´Â ¹Ì»óÀÓ.
Âü°í
»çÇ×
- Áö¸ñ ´äÀ̳ª ÇöȲ ÁְųªÁöÀÓ.
¡Û ¼­»ê°ø¿ë¹ö½ºÅ͹̳ΠºÏÂÊ¿¡ ÀÖ°í ´ë»çµ¿6±æÀ» ÅëÇÏ¿© Â÷·® Á¢±ÙÀÌ ¾çÈ£Çϸç, °øºÎ»ó ´ä


±¹ÅäºÎ½Ç°Å·¡°¡ ÃæÃ»³²µµ ¼­»ê½Ã µ¿¹®µ¿

°è¾àÀÏÁö¸ñ¿ëµµÁö¿ªµµ·Î°è¾à¸éÀû±Ý¾×±¸ºÐ
25.11.20ÀüÁ¦2Á¾ÀϹÝÁÖ°Å12m¹Ì¸¸28.751,500ÁöºÐ
25.10.13µµ·ÎÁ¦2Á¾ÀϹÝÁÖ°Å8m¹Ì¸¸33.33300ÁöºÐ
25.10.13µµ·ÎÁ¦2Á¾ÀϹÝÁÖ°Å8m¹Ì¸¸33.33300ÁöºÐ
25.10.13µµ·ÎÁ¦2Á¾ÀϹÝÁÖ°Å8m¹Ì¸¸33.33300ÁöºÐ
25.10.13µµ·ÎÁ¦2Á¾ÀϹÝÁÖ°Å8m¹Ì¸¸33.33300ÁöºÐ
¢Ñ ´õº¸±â

µî±âºÎµîº» ¿ä¾à(ÅäÁö)

  Á¢¼öÀÏÀÚ µî±â¸ñÀû/±Ç¸®ÀÚ ±Ç¸®±Ý¾× ±âÁØ
1 2024³â12¿ù10ÀÏ
¼ÒÀ¯±Ç
Á¤OO
¼Ò¸ê
2 2023³â9¿ù14ÀÏ
°¡¾Ð·ù
(OOOO
106,284,489 ¼Ò¸ê±âÁØ
3 2025³â1¿ù20ÀÏ
°­Á¦°æ¸Å
(OOOO
¼Ò¸ê

ÀÓÂ÷ÀÎÇöȲ (¹è´ç¿ä±¸Á¾±âÀÏ: 2025-05-13)


Á¶»çµÈ ÀÓÂ÷³»¿ªÀÌ ¾ø½À´Ï´Ù.


¿©ÀÇÁÖ°æ¸Å Á¶¾ð ÇÑ ¸¶µð


ÁÖÀÇ»çÇ× (ÃÖ¼±¼øÀ§ ¼³Á¤ÀÏ: 2023.9.14. °¡¾Ð·ù ¼³Á¤)

¸Å°¢À¸·Î ¼Ò¸êµÇÁö ¾Ê´Â µî±âºÎ±Ç¸®:
¸Å°¢À¸·Î ¼³Á¤µÈ °ÍÀ¸·Î º¸´Â Áö»ó±Ç:
- Áö¸ñ ´äÀ̳ª ÇöȲ ÁְųªÁöÀÓ.
¡Ø¹Ì³³°ü¸®ºñ(°ø¿ë) Àμö¿©ºÎ¸¦ ÀÔÂû Àü¿¡ È®ÀÎÇϽñ⠹ٶø´Ï´Ù

 

Áö¿ªºÐ¼®

ÁöÇÏö¸í Á÷¼±°Å¸®

Çб³¸í ÀüÈ­¹øÈ£ ÁÖ¼Ò Á÷¼±°Å¸®

¹ý¿ø

´ëÀüÁö¹æ¹ý¿ø ¼­»êÁö¿ø (319-88)ÃæÃ»³²µµ ¼­»ê½Ã °ø¸²4·Î 24 (¿¹Ãµµ¿ 600)
´ëÇ¥ : 041)660-0600, ¾ß°£ : 041)660-0725~6
°üÇÒÁö¿ª : ¼­»ê½Ã, ´çÁø½Ã, žȱº

µî±â¼Ò ´ëÀüÁö¹æ¹ý¿ø ¼­»êÁö¿ø µî±â°ú (´ëÇ¥:1544-0773, ÆÑ½º:(041)660-0719, Ãæ³² ¼­»ê½Ã °ø¸²4·Î 24 (¿¹Ãµµ¿ 600))
¼¼¹«¼­ ¼­»ê¼¼¹«¼­ (´ëÇ¥:041-660-92, ÆÑ½º:041-660-9259, ÃæÃ»³²µµ ¼­»ê½Ã ´öÁöõ·Î 145-6 (¼®¸²µ¿))

Àαٳ«ÂûÅë°è

±â°£ ¸Å°¢°Ç¼ö Æò±Õ°¨Á¤°¡
Æò±Õ¸Å°¢°¡
¸Å°¢°¡À²
Æò±ÕÀ¯Âû¼ö
3°³¿ù 16°Ç 142,902,160¿ø
72,373,481¿ø
50%
3.4ȸ
6°³¿ù 29°Ç 162,717,488¿ø
73,231,515¿ø
46%
3.3ȸ
12°³¿ù 60°Ç 155,435,321¿ø
72,832,630¿ø
47%
3ȸ


º» °æ¸ÅÁ¤º¸´Â ¹ý¿øÀÚ·á¿Í ÀÏÄ¡Çϵµ·Ï ÇÏ¿´À¸³ª ±Ç¸®»çÇ׺¯µ¿, ÀÔ·ÂÂø¿À µîÀÇ ¿øÀÎÀ¸·Î »ç½Ç°ú ´Ù¸¦ ¼ö ÀÖ½À´Ï´Ù. ÀÌ¿ë¾à°ü¿¡ ÀǰЏéÃ¥Á¶°ÇÀ¸·Î Á¦°øµÊÀ» ¾Ë¸®¸ç, °æ¸ÅÀÔÂû½Ã ¹Ýµå½Ã °ü·Ã °øºÎ¸¦ ÀçÈ®ÀÎÇϽñ⠹ٶø´Ï´Ù. º¸´Ù Æí¸®ÇÑ °æ¸ÅÁ¤º¸ Á¦°øÀ» À§ÇØ Áö¼ÓÀûÀ¸·Î °³¼±ÇϰڽÀ´Ï´Ù. ÀÌ¿ëÇØ Áּż­ °¨»çÇÕ´Ï´Ù.