·Î±×ÀÎ
25
´ä
´ëÀüÁö¹æ¹ý¿ø È«¼ºÁö¿ø
 °¨Á¤°¡21,680,400 ¿ø
 ÃÖÀú°¡(70%) 15,176,000 ¿ø
 º¸Áõ±Ý(10%) 1,517,600 ¿ø
 Ã»±¸¾×227,006,380 ¿ø
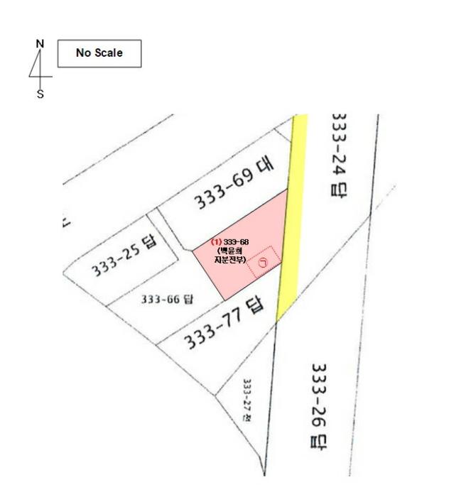
ÃæÃ»³²µµ ¼­Ãµ±º ÀåÇ×À¾ ȭõ¸® 333-68
»ç°Ç¹øÈ£ 2024Ÿ°æ4110
°æ¸ÅÁ¾·ùºÎµ¿»ê°­Á¦°æ¸Å
¸Å°¢´ë»óÅäÁöÁöºÐ¸Å°¢
¸Å°¢±âÀÏ    2025.11.18(È­) 10:00 ÀÔÂû 4ÀÏÀü    
ÅäÁö¸éÀû106.80§³(32.31 Æò)
°Ç¹°¸éÀû
乫/¼ÒÀ¯ÀÚ¹éOO / ¹éOO
ä±ÇÀÚ³óOOOOOOOO
ÆäÀ̽ººÏ Æ®À§ÅÍ ±¸±Û+
īī¿À½ºÅ丮
īī¿ÀÅå sms¹®ÀÚº¸³»±â
 

±âÀϳ»¿ª

°æ°ú ³¯Â¥ Àú°¨ ÃÖÀú°¡ °á°ú
Á¢¼öÀÏ 2024-12-23 °æ¸ÅÁ¢¼ö
~8ÀÏ 
2024-12-31 °æ¸Å°³½Ã°áÁ¤
~91ÀÏ 
2025-03-24 ¹è´ç¿ä±¸Á¾±âÀÏ
~295ÀÏ 
2025-10-14 100%
21,680,400
À¯Âû
~330ÀÏ 
2025-11-18 70%
15,176,000
ÁøÇà
¹°°Ç¸í¼¼¼­ ÇöȲÁ¶»ç¼­ ¹®°ÇÁ¢¼ö ¼Û´Þ³»¿ª

°¨Á¤Æò°¡ÇöȲ

¸ñ·Ï ÁÖ¼Ò ±¸Á¶/¿ëµµ/´ëÁö±Ç ¸éÀû ºñ°í
ÅäÁö
ȭõ¸® 333-68 ´ä 106.8 §³
(32.31Æò)
ÁöºÐ 5ºÐÀÇ 3 ÀüºÎ
Á¦½Ã¿Ü
°Ç¹°
ȭõ¸® 333-68 ºñ´ÒÇϿ콺 14.4 §³
(4.36Æò)
Á¦¿Ü
1) À§Ä¡/Á¦2Á¾ÀϹÝÁÖ°ÅÁö¿ª/¹ö½ºÁ¤·ùÀå ´õº¸±â
°¨Á¤Æò°¡ ¿äÇ×Ç¥
1)À§Ä¡ ¹× ÁÖÀ§È¯°æ
º»°ÇÀº ÃæÃ»³²µµ ¼­Ãµ±º ÀåÇ×À¾ ȭõ¸® ¼ÒÀç "ÀåÇ×°ø¾÷°íµîÇб³" ³²¼­Ãø Àαٿ¡ À§Ä¡Çϸç, ÁÖÀ§´Â °øÀå´ÜÁö, ´Üµ¶ÁÖÅÃ, ³ó°æÁö µîÀÌ È¥ÀçÇÏ´Â Áö¿ªÀ¸·Î¼­ Á¦¹Ý ÁÖÀ§È¯°æÀº º¸ÅëÀÓ.
2)±³Åë»óȲ
º»°Ç±îÁö ¼ÒÇü Â÷·® µî Á¢±ÙÀÌ °¡´ÉÇϸç, Àαٿ¡ ¹ö½ºÁ¤·ùÀåÀÌ ¼ÒÀçÇÏ´Â µî Á¦¹Ý ±³Åë»óȲÀº º¸ÅëÀÓ.
3)ÇüÅ ¹× ÀÌ¿ë»óÅÂ
»ç´Ù¸®ÇüÀÇ ÆòÁö·Î¼­ ÇöȲ ÁְųªÁö »óÅÂÀÓ.
4)ÀÎÁ¢ µµ·Î»óÅÂ
ÁöÀûµµ»ó ¸ÍÁöÀ̳ª º»°Ç ºÏµ¿ÃøÀ¸·Î Æø ¾à 3 - 4m ³»¿ÜÀÇ Æ÷Àåµµ·Î¿Í Á¢ÇÔ.
5)ÅäÁöÀÌ¿ë°èȹ ¹× Á¦ÇÑ»óÅÂ
ÅäÁöÀÌ¿ë°èȹȮÀμ­»ó
Á¦2Á¾ÀϹÝÁÖ°ÅÁö¿ª(Á¦2Á¾ÀϹÝÁÖ°ÅÁö¿ª), °¡Ãà»çÀ°Á¦Çѱ¸¿ª(ÀüºÎÁ¦ÇÑ)<°¡ÃàºÐ´¢ÀÇ °ü¸® ¹× À̿뿡 °üÇÑ ¹ý·ü>, »ó´ëº¸È£±¸¿ª(2017-12-28)<±³À°È¯°æ º¸È£¿¡ °üÇÑ ¹ý·ü>ÀÓ.
6)Á¦½Ã¸ñ·Ï ¿ÜÀÇ ¹°°Ç
Èĸé "ÁöÀû°³È²µµ", "°Ç¹°°³È²µµ", "»çÁø¿ëÁö" ÂüÁ¶.
7)°øºÎ¿ÍÀÇ Â÷ÀÌ
°øºÎ»ó Áö¸ñ ´äÀ̳ª ÇöȲ ÁְųªÁö »óÅÂÀÓ.
8)±âŸÂü°í»çÇ×(ÀÓ´ë°ü·Ê ¹× ±âŸ)
ÀÓ´ë°ü°è´Â ¹Ì»óÀ̸ç, ±âŸ Âü°í»çÇ× ¾øÀ½.
Âü°í
»çÇ×
- ³óÁöÃëµæÀÚ°ÝÁõ¸í¿ø Á¦Ãâ ºÒ¿ä - °øÀ¯ÀÚ¿ì¼±¸Å¼öû±¸±ÇÇà»ç 1ȸ·Î Á¦ÇÑ - Áö»óÀÇ ºñ´ÒÇϿ콺 ¸Å°¢¿¡¼­ Á¦¿Ü - ÇöȲ ÁְųªÁöÀÓ
º»°Ç ºÎµ¿»êÀº ´äÀ¸·Î ³óÁö·Î ÀÌ¿ëµÇ°í ÀÖÀ½


±¹ÅäºÎ½Ç°Å·¡°¡ ÃæÃ»³²µµ ¼­Ãµ±º ÀåÇ×À¾ ȭõ¸®

°è¾àÀÏÁö¸ñ¿ëµµÁö¿ªµµ·Î°è¾à¸éÀû±Ý¾×±¸ºÐ
25.08.29ÁÖÂ÷ÀåÁ¦2Á¾ÀϹÝÁÖ°Å8m¹Ì¸¸1902,870
25.08.29ÁÖÂ÷ÀåÁ¦2Á¾ÀϹÝÁÖ°Å12m¹Ì¸¸2654,690
25.08.29ÁÖÂ÷ÀåÁ¦2Á¾ÀϹÝÁÖ°Å25m¹Ì¸¸3547,380
25.08.29ÁÖÂ÷ÀåÁ¦2Á¾ÀϹÝÁÖ°Å25m¹Ì¸¸20410
25.08.29´ëÁ¦2Á¾ÀϹÝÁÖ°Å25m¹Ì¸¸2163,821
¢Ñ ´õº¸±â

µî±âºÎµîº» ¿ä¾à(ÅäÁö)

  Á¢¼öÀÏÀÚ µî±â¸ñÀû/±Ç¸®ÀÚ ±Ç¸®±Ý¾× ±âÁØ
1 2001³â6¿ù18ÀÏ
¼ÒÀ¯±Ç
Á¶OO
¼Ò¸ê
2 2001³â6¿ù18ÀÏ
¼ÒÀ¯±Ç
¹éOO
¼Ò¸ê
3 2024³â1¿ù31ÀÏ
°¡¾Ð·ù
³óOOOO
213,057,313 ¼Ò¸ê±âÁØ
4 2024³â1¿ù31ÀÏ
°¡¾Ð·ù
°­OOOO
85,196,790 ¼Ò¸ê
5 2024³â12¿ù31ÀÏ
°­Á¦°æ¸Å
³óOOOO
¼Ò¸ê
6 2025³â3¿ù7ÀÏ
°¡¾Ð·ù
¼­OOOO
24,009,220 ¼Ò¸ê
7 2025³â3¿ù17ÀÏ
°¡¾Ð·ù
¼­OOOO
27,883,830 ¼Ò¸ê
8 2025³â3¿ù17ÀÏ
°¡¾Ð·ù
¼­OOOO
6,473,980 ¼Ò¸ê

ÀÓÂ÷ÀÎÇöȲ (¹è´ç¿ä±¸Á¾±âÀÏ: 2025-03-24)


Á¶»çµÈ ÀÓÂ÷³»¿ªÀÌ ¾ø½À´Ï´Ù


¿©ÀÇÁÖ°æ¸Å Á¶¾ð ÇÑ ¸¶µð

ÁöºÐ°æ¸Å ¹°°ÇÀÌ Æ÷ÇԵǾî ÀÖ½À´Ï´Ù
¿©·¯ ¸íÀÌ °øµ¿À¸·Î ¼ÒÀ¯ÇÏ´Â ºÎµ¿»êÀÇ ÀϺθ¸ °æ¸Å·Î ³ª¿Â °ÍÀ» ÁöºÐ°æ¸Å¶ó°í ÇÕ´Ï´Ù. ¼ÒÀ¯ºÎºÐÀÌ Æ¯Á¤µÇÁö ¾Ê¾Æ »ç¿ë¿¡ Á¦¾àÀÌ µû¸¦ ¼ö ÀÖÀ¸¸ç °øÀ¯ÀÚ°£¿¡ ºÐÀïµµ ¹ß»ýÇÒ ¼ö ÀÖ½À´Ï´Ù. °øÀ¯ÀÚ´Â °øÀ¯ÀÚ¿ì¼±¸Å¼öû±¸±Ç¸®°¡ ÀÖ½À´Ï´Ù.
³óÁöÃëµæÀÚ°ÝÁõ¸í¿ø Á¦ÃâÀ» Á¶°ÇÀ¸·Î ÇÏ´Â ¹°°ÇÀÔ´Ï´Ù
Àü, ´ä, °ú¼ö¿ø µî ³óÁö´Â ³«ÂûÀϷκÎÅÍ 7ÀÏ À̳»¿¡ ³óÁöÃëµæÀÚ°ÝÁõ¸íÀ» ÇØ´ç°üû¿¡¼­ ¹ß±Þ¹Þ¾Æ °æ¸Å¹ý¿ø¿¡ Á¦ÃâÇÏ¿©¾ß ÇÕ´Ï´Ù. ¹ÌÁ¦Ãâ½Ã¿¡´Â ³«ÂûÀÌ ºÒÇã°¡µÇ°í ÀÔÂûº¸Áõ±ÝÀÌ ¸ô¼öµÉ ¼ö ÀÖ½À´Ï´Ù. ÇØ´ç ³óÁö°¡ ºÒ¹ýÀü¿ë ¶Ç´Â ÇüÁúº¯°æÀÌ µÈ °æ¿ì ¿øÄ¢ÀûÀ¸·Î ³óÁöÃëµæÀÚ°ÝÁõ¸íÀ» ¹ß±Þ¹ÞÀ» ¼ö ¾øÀ¸³ª »çÈÄ Á¶°ÇºÎ·Î ¹ß±Þ¹ÞÀ» ¼öµµ ÀÖ½À´Ï´Ù. ³ó¾÷ÀÎÀÌ ¾Æ´Ï¾îµµ µÇ°í ¸Õ °Å¸®¿¡ °ÅÁÖÇϴ ŸÁöÀεµ ¹ß±ÞÀÌ °¡´ÉÇÕ´Ï´Ù.

ÁÖÀÇ»çÇ× (ÃÖ¼±¼øÀ§ ¼³Á¤ÀÏ: 2024.12.31. °³½Ã°áÁ¤ ¼³Á¤)

¸Å°¢À¸·Î ¼Ò¸êµÇÁö ¾Ê´Â µî±âºÎ±Ç¸®:
¸Å°¢À¸·Î ¼³Á¤µÈ °ÍÀ¸·Î º¸´Â Áö»ó±Ç:
- ³óÁöÃëµæÀÚ°ÝÁõ¸í¿ø Á¦Ãâ ºÒ¿ä - °øÀ¯ÀÚ¿ì¼±¸Å¼öû±¸±ÇÇà»ç 1ȸ·Î Á¦ÇÑ - Áö»óÀÇ ºñ´ÒÇϿ콺 ¸Å°¢¿¡¼­ Á¦¿Ü - ÇöȲ ÁְųªÁöÀÓ
¡Ø¹Ì³³°ü¸®ºñ(°ø¿ë) Àμö¿©ºÎ¸¦ ÀÔÂû Àü¿¡ È®ÀÎÇϽñ⠹ٶø´Ï´Ù

 

Áö¿ªºÐ¼®

ÁöÇÏö¸í Á÷¼±°Å¸®

Çб³¸í ÀüÈ­¹øÈ£ ÁÖ¼Ò Á÷¼±°Å¸®

¹ý¿ø

´ëÀüÁö¹æ¹ý¿ø È«¼ºÁö¿ø (322-26)ÃæÃ»³²µµ È«¼º±º È«¼ºÀ¾ ¹ý¿ø·Î 38 (¿ù»ê¸® 848)
´ëÇ¥ : 041)640-3100, ¾ß°£ : 041)640-3264
°üÇÒÁö¿ª : ¼­Ãµ±º, º¸·É½Ã, È«¼º±º, ¿¹»ê±º

µî±â¼Ò ´ëÀüÁö¹æ¹ý¿ø º»¿ø ÀåÇ×µî±â¼Ò (´ëÇ¥:1544-0773, ÆÑ½º:(041)957-0092, 956-2162, Ãæ³² ¼­Ãµ±º ÀåÇ×À¾ ÀåÇ×·Î 245 (¿ø¼ö¸® 893-5))
¼¼¹«¼­ º¸·É¼¼¹«¼­ (´ëÇ¥:041-930-92, ÆÑ½º:041-936-7289, ÃæÃ»³²µµ º¸·É½Ã ¿Á¸¶·Î 56 (¸íõµ¿))

Àαٳ«ÂûÅë°è

±â°£ ¸Å°¢°Ç¼ö Æò±Õ°¨Á¤°¡
Æò±Õ¸Å°¢°¡
¸Å°¢°¡À²
Æò±ÕÀ¯Âû¼ö
3°³¿ù 3°Ç 789,551,613¿ø
353,003,667¿ø
65%
2ȸ
6°³¿ù 3°Ç 789,551,613¿ø
353,003,667¿ø
65%
2ȸ
12°³¿ù 4°Ç 630,718,485¿ø
285,277,750¿ø
62%
2.3ȸ


º» °æ¸ÅÁ¤º¸´Â ¹ý¿øÀÚ·á¿Í ÀÏÄ¡Çϵµ·Ï ÇÏ¿´À¸³ª ±Ç¸®»çÇ׺¯µ¿, ÀÔ·ÂÂø¿À µîÀÇ ¿øÀÎÀ¸·Î »ç½Ç°ú ´Ù¸¦ ¼ö ÀÖ½À´Ï´Ù. ÀÌ¿ë¾à°ü¿¡ ÀǰЏéÃ¥Á¶°ÇÀ¸·Î Á¦°øµÊÀ» ¾Ë¸®¸ç, °æ¸ÅÀÔÂû½Ã ¹Ýµå½Ã °ü·Ã °øºÎ¸¦ ÀçÈ®ÀÎÇϽñ⠹ٶø´Ï´Ù. º¸´Ù Æí¸®ÇÑ °æ¸ÅÁ¤º¸ Á¦°øÀ» À§ÇØ Áö¼ÓÀûÀ¸·Î °³¼±ÇϰڽÀ´Ï´Ù. ÀÌ¿ëÇØ Áּż­ °¨»çÇÕ´Ï´Ù.