·Î±×ÀÎ
362
±Ù¸°»ó°¡
¼­¿ï³²ºÎÁö¹æ¹ý¿ø
 °¨Á¤°¡897,000,000 ¿ø
 ÃÖÀú°¡(80%) 717,600,000 ¿ø
 º¸Áõ±Ý(10%) 71,760,000 ¿ø
 Ã»±¸¾×194,502,000 ¿ø
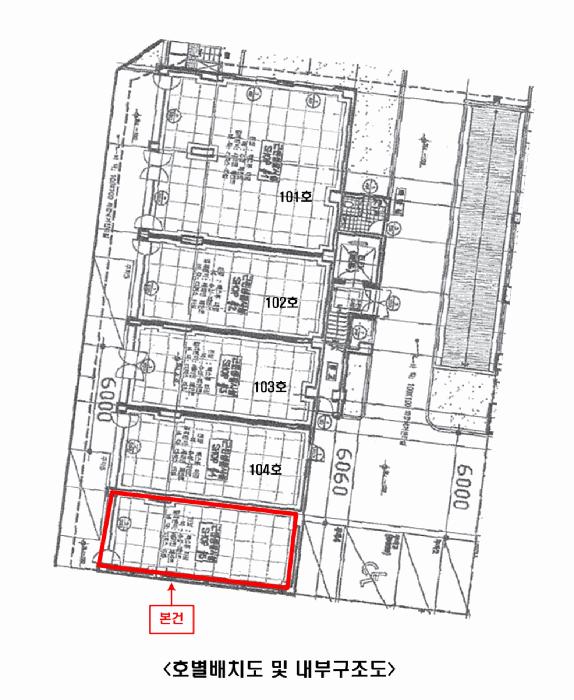
¼­¿ïƯº°½Ã ¾çõ±¸ ¸ñµ¿ 405-300 Á¦1Ãþ Á¦105È£
»ç°Ç¹øÈ£ 2025Ÿ°æ9408
°æ¸ÅÁ¾·ùºÎµ¿»ê°­Á¦°æ¸Å
¸Å°¢´ë»óÅäÁö ¹× °Ç¹°Àϰý ¸Å°¢
¸Å°¢±âÀÏ    2025.11.13(¸ñ) 10:00 ÀÔÂû 6ÀÏÀü    
ÅäÁö¸éÀû18.27§³(5.53 Æò)
°Ç¹°¸éÀû50.14§³(15.17 Æò)
乫/¼ÒÀ¯ÀÚ¸ñOOOOOOOOOOOOOOO / ¸ñOOOOOOOOOOOOOOO
ä±ÇÀÚ¾çOO
ÆäÀ̽ººÏ Æ®À§ÅÍ ±¸±Û+
īī¿À½ºÅ丮
īī¿ÀÅå sms¹®ÀÚº¸³»±â
 

±âÀϳ»¿ª

°æ°ú ³¯Â¥ Àú°¨ ÃÖÀú°¡ °á°ú
Á¢¼öÀÏ 2025-04-01 °æ¸ÅÁ¢¼ö
~21ÀÏ 
2025-04-22 °æ¸Å°³½Ã°áÁ¤
~114ÀÏ 
2025-07-24 ¹è´ç¿ä±¸Á¾±âÀÏ
~196ÀÏ 
2025-10-14 100%
897,000,000
À¯Âû
~226ÀÏ 
2025-11-13 80%
717,600,000
ÁøÇà
¹°°Ç¸í¼¼¼­ ÇöȲÁ¶»ç¼­ ¹®°ÇÁ¢¼ö ¼Û´Þ³»¿ª

°¨Á¤Æò°¡ÇöȲ

¸ñ·Ï ÁÖ¼Ò ±¸Á¶/¿ëµµ/´ëÁö±Ç ¸éÀû ºñ°í
´ëÁö±Ç
¸ñµ¿ 405-300 399 ºÐÀÇ 18.272 18.272 §³
(5.53Æò)
°Ç¹°
¸ñµ¿ 405-300 Á¦1Ãþ Á¦105È£ ö±ÙÄÜÅ©¸®Æ®Á¶ 50.14 §³
(15.17Æò)
Âü°í
»çÇ×

ÀÌ »ç°Ç ºÎµ¿»êÀº `¿¬Áö ÇÁ·Îºô`¾ÆÆÄÆ® »ó°¡ ³»¿¡ À§Ä¡ÇÑ °÷À¸·Î


µî±âºÎµîº» ¿ä¾à(°Ç¹°)

  Á¢¼öÀÏÀÚ µî±â¸ñÀû/±Ç¸®ÀÚ ±Ç¸®±Ý¾× ±âÁØ
1 2021³â6¿ù8ÀÏ
¼ÒÀ¯±Ç
¸ñOOOO
¼Ò¸ê
2 2025³â4¿ù23ÀÏ
°­Á¦°æ¸Å
¾çOO
¼Ò¸ê±âÁØ

ÀÓÂ÷ÀÎÇöȲ (¹è´ç¿ä±¸Á¾±âÀÏ: 2025-07-24)

ÀÓÂ÷ÀÎ ¿ëµµ/Á¡À¯ º¸Áõ±Ý/¿ù¼¼ ´ëÇ×·Â
ÀüÀÔÀÏ/È®Á¤ÀÏ ¹è´ç¿ä±¸ ºñ°í
ÁÖOOOOOOOOOOOOOOOOO 105È£ ¹Ì»ó
[¿ù]¹Ì»ó
2023.11.28.(»ó°¡°Ç¹°ÀÓ´ëÂ÷ÇöȲ¼­)
¹Ì»ó
2023.11.01.~2025.10.31.

¿©ÀÇÁÖ°æ¸Å Á¶¾ð ÇÑ ¸¶µð

ÃëÇÏ ¶Ç´Â Ãë¼ÒµÉ °¡´É¼º ÀÖ½À´Ï´Ù
ÀÌ ¹°°ÇÀÇ °¨Á¤°¡°ÝÀº 897,000,000¿øÀÔ´Ï´Ù. °æ¸Å¸¦ ½ÅûÇÑ Ã¤±ÇÀÚ°¡ ¹è´ç ¹Þ¾Æ¾ß ÇÒ ±Ý¾×Àº 194,502,000¿øÀ¸·Î °¨Á¤°¡°Ý ´ëºñ »ó´çÈ÷ ÀûÀº ±Ý¾×ÀÔ´Ï´Ù. ÀÌ·± °æ¿ì, 乫°¡°¡ º¯Á¦ÇÏ¿© °æ¸Å¸¦ ÃëÇϽÃŰ°Å³ª °æ¸Å½Åûä±ÇÀÚ°¡ ¹è´ç¹ÞÀº ±Ý¿øÀÌ ¾ø°ÔµÇ¾î À̸¥ ¹Ù "¹«À׿©¿¡ ÀÇÇÑ Ãë¼Ò"°¡ µÉ °¡´É¼ºÀÌ ÀÖ½À´Ï´Ù.

ÁÖÀÇ»çÇ× (ÃÖ¼±¼øÀ§ ¼³Á¤ÀÏ: 2025.04.23. °­Á¦°æ¸Å°³½Ã ¼³Á¤)

¸Å°¢À¸·Î ¼Ò¸êµÇÁö ¾Ê´Â µî±âºÎ±Ç¸®:
¸Å°¢À¸·Î ¼³Á¤µÈ °ÍÀ¸·Î º¸´Â Áö»ó±Ç:
¡Ø¹Ì³³°ü¸®ºñ(°ø¿ë) Àμö¿©ºÎ¸¦ ÀÔÂû Àü¿¡ È®ÀÎÇϽñ⠹ٶø´Ï´Ù

 

Áö¿ªºÐ¼®

ÁöÇÏö¸í Á÷¼±°Å¸®

Çб³¸í ÀüÈ­¹øÈ£ ÁÖ¼Ò Á÷¼±°Å¸®

¹ý¿ø

¼­¿ï³²ºÎÁö¹æ¹ý¿ø (080-88)¼­¿ïƯº°½Ã ¾çõ±¸ ½Å¿ù·Î 386(½ÅÁ¤µ¿)
´ëÇ¥ : 02)2192-1114
°üÇÒÁö¿ª : ¿µµîÆ÷±¸, °­¼­±¸, ¾çõ±¸, ±¸·Î±¸, ±Ýõ±¸

µî±â¼Ò ¼­¿ï³²ºÎÁö¹æ¹ý¿ø º»¿ø µî±â±¹ (´ëÇ¥:1544-0773, ÆÑ½º:(02)2629-7307, ¼­¿ïƯº°½Ã ¿µµîÆ÷±¸ °æÀηΠ772 (¹®·¡µ¿ 1°¡))
¼¼¹«¼­ ¾çõ¼¼¹«¼­ (´ëÇ¥:02-2650-92, ÆÑ½º:02-2652-0058, ¼­¿ïƯº°½Ã ¾çõ±¸ ¸ñµ¿µ¿·Î 165 (½ÅÁ¤µ¿))

Àαٳ«ÂûÅë°è

±â°£ ¸Å°¢°Ç¼ö Æò±Õ°¨Á¤°¡
Æò±Õ¸Å°¢°¡
¸Å°¢°¡À²
Æò±ÕÀ¯Âû¼ö
3°³¿ù 3°Ç 524,233,673¿ø
422,500,000¿ø
71%
2ȸ
6°³¿ù 5°Ç 491,540,204¿ø
423,510,000¿ø
81%
1.8ȸ
12°³¿ù 6°Ç 509,957,818¿ø
431,091,666¿ø
81%
2ȸ


º» °æ¸ÅÁ¤º¸´Â ¹ý¿øÀÚ·á¿Í ÀÏÄ¡Çϵµ·Ï ÇÏ¿´À¸³ª ±Ç¸®»çÇ׺¯µ¿, ÀÔ·ÂÂø¿À µîÀÇ ¿øÀÎÀ¸·Î »ç½Ç°ú ´Ù¸¦ ¼ö ÀÖ½À´Ï´Ù. ÀÌ¿ë¾à°ü¿¡ ÀǰЏéÃ¥Á¶°ÇÀ¸·Î Á¦°øµÊÀ» ¾Ë¸®¸ç, °æ¸ÅÀÔÂû½Ã ¹Ýµå½Ã °ü·Ã °øºÎ¸¦ ÀçÈ®ÀÎÇϽñ⠹ٶø´Ï´Ù. º¸´Ù Æí¸®ÇÑ °æ¸ÅÁ¤º¸ Á¦°øÀ» À§ÇØ Áö¼ÓÀûÀ¸·Î °³¼±ÇϰڽÀ´Ï´Ù. ÀÌ¿ëÇØ Áּż­ °¨»çÇÕ´Ï´Ù.