·Î±×ÀÎ
1285
±Ù¸°»ó°¡
¼ö¿øÁö¹æ¹ý¿ø ÆòÅÃÁö¿ø
 °¨Á¤°¡176,000,000 ¿ø
 ÃÖÀú°¡(70%) 123,200,000 ¿ø
 º¸Áõ±Ý(10%) 12,320,000 ¿ø
 Ã»±¸¾×71,464,819 ¿ø
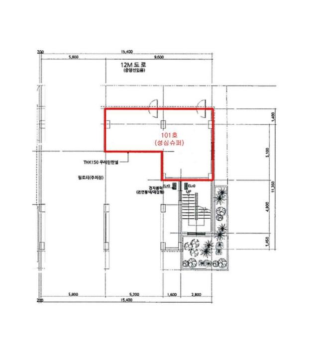
°æ±âµµ ÆòÅýà ¾ÈÁßÀ¾ ¾ÈÁß·Î60¹ø±æ 18, 1Ãþ101È£
°æ±âµµ ÆòÅýà ¾ÈÁßÀ¾ ÇöÈ­¸® 56
»ç°Ç¹øÈ£ 2024Ÿ°æ5262
°æ¸ÅÁ¾·ùºÎµ¿»êÀÓÀǰæ¸Å
¸Å°¢´ë»óÅäÁö ¹× °Ç¹°Àϰý ¸Å°¢
¸Å°¢±âÀÏ    2026.04.13(¿ù) 10:00 ÀÔÂû 2ÀÏÀü    
ÅäÁö¸éÀû51.00§³(15.43 Æò)
°Ç¹°¸éÀû48.88§³(14.79 Æò)
乫/¼ÒÀ¯ÀÚÁ¶OO / Á¶OO
ä±ÇÀÚµµOOOOOOOO
ÆäÀ̽ººÏ Æ®À§ÅÍ ±¸±Û+
īī¿À½ºÅ丮
īī¿ÀÅå sms¹®ÀÚº¸³»±â
 

±âÀϳ»¿ª

°æ°ú ³¯Â¥ Àú°¨ ÃÖÀú°¡ °á°ú
Á¢¼öÀÏ 2024-12-05 °æ¸ÅÁ¢¼ö
~1ÀÏ 
2024-12-06 °æ¸Å°³½Ã°áÁ¤
~91ÀÏ 
2025-03-06 ¹è´ç¿ä±¸Á¾±âÀÏ
~284ÀÏ 
2025-09-15 100%
176,000,000
À¯Âû
~333ÀÏ 
2025-11-03 70%
123,200,000
À¯Âû
~368ÀÏ 
2025-12-08 49%
86,240,000
À¯Âû
~417ÀÏ 
2026-01-26 34%
60,368,000
¸Å°¢
³«Âû°¡ 76,220,000 (43%)
~424ÀÏ 
2026-02-02 ¸Å°¢ºÒÇã°¡
~466ÀÏ 
2026-03-16 100%
176,000,000
À¯Âû
~494ÀÏ 
2026-04-13 70%
123,200,000
¹°°Ç¸í¼¼¼­ ÇöȲÁ¶»ç¼­ ¹®°ÇÁ¢¼ö ¼Û´Þ³»¿ª

°¨Á¤Æò°¡ÇöȲ

¸ñ·Ï ÁÖ¼Ò ±¸Á¶/¿ëµµ/´ëÁö±Ç ¸éÀû ºñ°í
´ëÁö±Ç
ÇöÈ­¸® 56 365ºÐÀÇ 51 51 §³
(15.43Æò)
°Ç¹°
ÇöÈ­¸® 56 1Ãþ101È£ ö±ÙÄÜÅ©¸®Æ®±¸Á¶ 48.88 §³
(14.79Æò)
1) À§Ä¡/Á¦1Á¾ÀϹÝÁÖ°ÅÁö¿ª/¹ö½ºÁ¤·ùÀå/Â÷·®Á¢±ÙÀÌ °¡´É/ö±ÙÄÜÅ©¸®Æ®±¸Á¶ ´õº¸±â
°¨Á¤Æò°¡ ¿äÇ×Ç¥
1)À§Ä¡ ¹× ÁÖÀ§È¯°æ
º»°ÇÀº °æ±âµµ ÆòÅýà ¾ÈÁßÀ¾ ÇöÈ­¸® ¼ÒÀç "¾ÈÀÏÁßÇб³" ºÏµ¿Ãø Àαٿ¡ À§Ä¡Çϸç, ÀαÙÀº ¾ÆÆÄÆ®´ÜÁö, ´Üµ¶ÁÖÅà ¹× ´Ù°¡±¸ÁÖÅÃ, ±Ù¸°»ýȰ½Ã¼³ µîÀÌ È¥ÀçÇÏ´Â Áö¿ªÀÓ.
2)±³Åë»óȲ
º»°Ç±îÁö Â÷·®Á¢±ÙÀÌ °¡´ÉÇϸç, Àαٿ¡ ¹ö½ºÁ¤·ùÀåÀÌ ¼ÒÀçÇÏ´Âµî ´ëÁß±³Åë À̿뿩°ÇÀº º¸ÅëÀÓ.
3)°Ç¹°ÀÇ ±¸Á¶
º»°ÇÀº ö±ÙÄÜÅ©¸®Æ®±¸Á¶ (ö±Ù)ÄÜÅ©¸®Æ®ÁöºØ 4Ãþ°Ç ³» Á¦1Ãþ Á¦101È£·Î¼­,
¿Ü º®:¼®Àç ºÙÀÓ ¸¶°¨.
³» º®:¸ôÅ»À§ ÆäÀÎÆÃ ¸¶°¨.
â È£:»þ½Ã âȣÀÓ.
4)ÀÌ¿ë»óÅÂ
ÇöȲ "±Ù¸°»ýȰ½Ã¼³(¼º½É½´ÆÛ)"·Î ÀÌ¿ëÁßÀÓ.
5)¼³ºñ³»¿ª
±âº»ÀûÀÎ À§»ý¼³ºñ ¹× ±Þ¡¤¹è¼ö ¼³ºñ°¡ ±¸ºñµÇ¾î ÀÖÀ½.
6)ÅäÁöÀÇ Çü»ó ¹× ÀÌ¿ë»óÅÂ
°¡ÀåÇü ÆòÁöÀÇ ÅäÁö·Î¼­ ÇöȲ "ÁÖ»ó¿ë°ÇºÎÁö"·Î ÀÌ¿ëÁßÀÓ.
7)ÀÎÁ¢ µµ·Î»óŵî
ºÏµ¿ÃøÀ¸·Î ·ÎÆø 8m ³»¿ÜÀÇ Æ÷Àåµµ·Î¿Í Á¢ÇÔ.
8)ÅäÁöÀÌ¿ë°èȹ ¹× Á¦ÇÑ»óÅÂ
Á¦1Á¾ÀϹÝÁÖ°ÅÁö¿ª, °¡Ãà»çÀ°Á¦Çѱ¸¿ª(2022-01-26)(ÀüºÎÁ¦Çѱ¸¿ª)<°¡ÃàºÐ´¢ÀÇ °ü¸® ¹× À̿뿡 °üÇÑ ¹ý·ü>, »ó´ëº¸È£±¸¿ª(¾ÈÀϰí)<±³À°È¯°æ º¸È£¿¡ °üÇÑ ¹ý·ü>, »ó´ëº¸È£±¸¿ª(¾ÈÁßÁß°í±³)<±³À°È¯°æ º¸È£¿¡ °üÇÑ ¹ý·ü>
9)°øºÎ¿ÍÀÇ Â÷ÀÌ
-
10)±âŸÂü°í»çÇ×(ÀÓ´ë°ü·Ê ¹× ±âŸ)
ÀÓ´ë³»¿ªÀº ¹Ì»óÀÓ.
Âü°í
»çÇ×

* º»°Ç ¸ñÀû¹°Àº µµ½ÃÇü»ýȰÁÖÅà `¿µ±¤ºô`

°ÇÃ๰ÇöȲ

¼ÒÀçÁö °æ±âµµ ÆòÅýà ¾ÈÁßÀ¾ ÇöÈ­¸® 56¹øÁö
´ëÁö¸éÀû 365§³
(110.61Æò)
¿¬¸éÀû 548.86§³
(166.32Æò)
°ÇÃà¸éÀû 194.84§³
(59.04Æò)
¿ëÀû·ü»êÁ¤
¿¬¸éÀû
548.86§³
(166.32Æò)
°ÇÆóÀ² 53.38% ¿ëÀû·ü 150.37%
Áö»óÃþ¼ö 4Ãþ ÁöÇÏÃþ¼ö  
ÁÖ¿ëµµ °øµ¿ÁÖÅà ±¸Á¶ ö±ÙÄÜÅ©¸®Æ®±¸Á¶
Âø°øÀÏÀÚ 2014.04.16 »ç¿ë½ÂÀÎÀÏÀÚ 2014.08.29
°ÇÃ๰Ãþº°ÇöȲ [º¸±â]


µî±âºÎµîº» ¿ä¾à(°Ç¹°)

  Á¢¼öÀÏÀÚ µî±â¸ñÀû/±Ç¸®ÀÚ ±Ç¸®±Ý¾× ±âÁØ
1 2014³â10¿ù16ÀÏ
¼ÒÀ¯±Ç
Á¶OO
¼Ò¸ê
2 2020³â5¿ù6ÀÏ
±ÙÀú´ç±Ç
µµOOOO
78,000,000 ¼Ò¸ê±âÁØ
3 2024³â3¿ù15ÀÏ
°¡¾Ð·ù
ȕOOOO
25,540,027 ¼Ò¸ê
4 2024³â5¿ù23ÀÏ
°¡¾Ð·ù
µµOOOO
48,000,000 ¼Ò¸ê
5 2024³â12¿ù6ÀÏ
ÀÓÀǰæ¸Å
µµOOOO
¼Ò¸ê
6 2025³â4¿ù14ÀÏ
¾Ð·ù
ÆòOO
¼Ò¸ê

ÀÓÂ÷ÀÎÇöȲ (¹è´ç¿ä±¸Á¾±âÀÏ: 2025-03-06)

ÀÓÂ÷ÀÎ ¿ëµµ/Á¡À¯ º¸Áõ±Ý/¿ù¼¼ ´ëÇ×·Â
ÀüÀÔÀÏ/È®Á¤ÀÏ ¹è´ç¿ä±¸ ºñ°í
YOOOOOOOOOOOOOO ÀüºÎ 1Â÷:15,000,000¿ø2Â÷:50,000,000¿ø
[¿ù]1Â÷:800,000¿ø2Â÷:600,000¿ø
O
2014.10.14.
1Â÷:2014.10.17.2Â÷:¾øÀ½
2025.1.16. 2014.10.20.~ÇöÀç

¿©ÀÇÁÖ°æ¸Å Á¶¾ð ÇÑ ¸¶µð


ÁÖÀÇ»çÇ× (ÃÖ¼±¼øÀ§ ¼³Á¤ÀÏ: 2020. 5. 6.±ÙÀú´ç±Ç ¼³Á¤)

¸Å°¢À¸·Î ¼Ò¸êµÇÁö ¾Ê´Â µî±âºÎ±Ç¸®:
¸Å°¢À¸·Î ¼³Á¤µÈ °ÍÀ¸·Î º¸´Â Áö»ó±Ç:
2026.01.29 ÃÖ°í°¡¸Å¼ö½Å°íÀÎ ¸Å°¢ºÒÇã°¡½Åû Á¦Ãâ
¡Ø¹Ì³³°ü¸®ºñ(°ø¿ë) Àμö¿©ºÎ¸¦ ÀÔÂû Àü¿¡ È®ÀÎÇϽñ⠹ٶø´Ï´Ù

 

Áö¿ªºÐ¼®

ÁöÇÏö¸í Á÷¼±°Å¸®

Çб³¸í ÀüÈ­¹øÈ£ ÁÖ¼Ò Á÷¼±°Å¸®

¹ý¿ø

¼ö¿øÁö¹æ¹ý¿ø ÆòÅÃÁö¿ø (178-48)°æ±âµµ ÆòÅýà Æò³²·Î 1036 (µ¿»èµ¿)
´ëÇ¥ : 031)650-3114, ¾ß°£ : 031)650-3150
°üÇÒÁö¿ª : ÆòÅýÃ, ¾È¼º½Ã

µî±â¼Ò ¼ö¿øÁö¹æ¹ý¿ø º»¿ø ¼Ûźµî±â¼Ò (´ëÇ¥:1544-0773, ÆÑ½º:(031)665-3769, °æ±âµµ ÆòÅýà °æ±â´ë·Î 1351 (¼­Á¤µ¿ 813-3))
¼¼¹«¼­ ÆòÅü¼¹«¼­ (´ëÇ¥:031-650-02, ÆÑ½º:031-658-1116, °æ±âµµ ÆòÅýà Á×¹é6·Î6 (Á׹鵿 796))

Àαٳ«ÂûÅë°è

±â°£ ¸Å°¢°Ç¼ö Æò±Õ°¨Á¤°¡
Æò±Õ¸Å°¢°¡
¸Å°¢°¡À²
Æò±ÕÀ¯Âû¼ö
3°³¿ù 47°Ç 546,997,234¿ø
287,260,350¿ø
48%
2.7ȸ
6°³¿ù 81°Ç 449,077,630¿ø
226,304,193¿ø
49%
2.6ȸ
12°³¿ù 141°Ç 363,019,696¿ø
193,163,463¿ø
53%
2.4ȸ


º» °æ¸ÅÁ¤º¸´Â ¹ý¿øÀÚ·á¿Í ÀÏÄ¡Çϵµ·Ï ÇÏ¿´À¸³ª ±Ç¸®»çÇ׺¯µ¿, ÀÔ·ÂÂø¿À µîÀÇ ¿øÀÎÀ¸·Î »ç½Ç°ú ´Ù¸¦ ¼ö ÀÖ½À´Ï´Ù. ÀÌ¿ë¾à°ü¿¡ ÀǰЏéÃ¥Á¶°ÇÀ¸·Î Á¦°øµÊÀ» ¾Ë¸®¸ç, °æ¸ÅÀÔÂû½Ã ¹Ýµå½Ã °ü·Ã °øºÎ¸¦ ÀçÈ®ÀÎÇϽñ⠹ٶø´Ï´Ù. º¸´Ù Æí¸®ÇÑ °æ¸ÅÁ¤º¸ Á¦°øÀ» À§ÇØ Áö¼ÓÀûÀ¸·Î °³¼±ÇϰڽÀ´Ï´Ù. ÀÌ¿ëÇØ Áּż­ °¨»çÇÕ´Ï´Ù.